Stammbaum Organismen

Taxa   

Bedienungsanleitung

Kollage Heteroptera
Navigation: Arthropoda/Tracheata/Insecta/Hemiptera/Heteroptera/Pentatomorpha
(in Arbeit)    Gliederfüsser/............/Insekten/Schnabelkerfe/Wanzen/Schildwanzenähnliche
home Teilordnung Pentatomorpha
    5 Überfamilien, 37 Familien, 
Liste aller Familien weltweit,
    Bilder von Arten aus Europa, Südostasien und Neuguinea

ÜF Aradoidea
   Fam. Aradidae - Rindenwanzen,
eine Gattung
   Fam. Termitaphididae
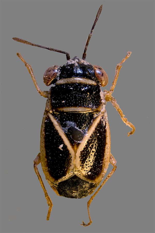
Tritomegas bicolor
Tritomegas bicolor, KL 6 mm,
Fam. Cydnidae

Stachelwanze Wau Papua-Neuguinea
Video Stachelwanze, Wau, Papua-Neuguinea, 2007, Fam. Acanthosomatidae
Rotbeinige Baumwanze
Rotbeinige Baumwanze Pentatosoma rufipes, Sachsen  2012, Fam. Pentatomidae
Biotope ÜF Pentatomoidea - Schildwanzenartige
   
Fam. Acanthosomatidae
        5 Gattungen; z.B.: Acanthosoma, Elasmucha
   Fam. Canopidae  eine Gattung
   Fam. Cydnidae, 15 Gattungen; z.B.: Tritomegas 
   Fam. Dinidoridae  eine Gattung 
 
  Fam. Lestoniidae

Tiere    Fam. Megarididae eine Gattung 
   Fam. Parastrachiidae
   Fam. Pentatomidae - Schildwanzen, Baumwanzen
       10 Unterfamilien    Gattungen z.B.: Halyomorpha, Nezara,
         Pentatoma, Picromerus, Podisius

Kugelwanze
Kugelwanze Coptosoma scutellatum,
KL 3,5mm, Fam. Plataspidae  Kugelwanzen

Schildwanze Eurygaster testudinaria
Schildwanze Eurygaster testudinaria,
ÜF Pentatomoidea, Scutelleridae
Pflanzen    Fam. Phloeidae
   Fam. Plataspididae
 Kugelwanzen
; 56 Gattungen, 560 Arten
   Fam. Scutelleridae
        8 Unterfamilien
Kulturen    Fam. Tessaratomidae
        3 Unterfamilien  47 Gattungen; z.B.: Oncomeris,
   Fam. Thaumastellidae
   Fam. Thyreocoridae    5 Gattungen 
   Fam. Urostylidae    ca. 80 Arten
Riesenschildwanze Neuguinea
Riesenschildwanze Oncomeris spec., Neuguinea, 1999,
Pentatomoidea, Tessarotomidae
Nymphe Tessarotomidae
Video Nymphe Riesenschildwanze,
Mt. Cyclop, West-Papua, 2007,
Pentatomoidea, Tessarotomidae
Artensterben ÜF Coreoidea
   Fam. Alydidae    14 Gattungen
  
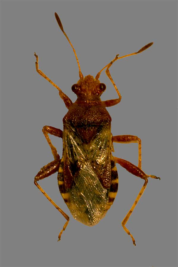
 Fam. Coreidae - Lederwanzen
        4 Unterfamilien   36 Gattungen  etwa 1800 Arten
; z.B.:
           Coreus,

   Fam. Hyocephalidae   2 Gattungen
   Fam. Rhopalidae
        18 Gattungen   mehr als 200 Arten
; z.B.: Rhopalus
   Fam. Stenocephalidae

zurück      
zum nächsthöheren Taxon
ÜF Lygaeoidea
   Fam. Artheneidae   3 Gattungen
   Fam. Berytidae
   13 Gattungen
   Fam. Blissidae
        50 Gattungen  435 Arten
   Fam. Colobathristidae
&        2 Unterfamilien 3 Gattungen  83 Arten
Lederwanze Coreus marginatus
Lederwanze Coreus marginatus, Leipzig, Küchenholz, 2013, Fam. Coreidae
Glasflügelwanze Rhopalus spec.
Glasflügelwanze Rhopalus spec., Ziegelrodaer Forst, 2018, Fam. Rhopalidae

Geocoris grylloides
Geocoris grylloides, KL 4 mm,
ÜF Lygaeoidea, Fam. Geocoridae

Sammlung Mathias Hoffmann
Rhopalus spec.
Rhopalus spec., KL 7 mm,
Familie Rhopalidae

Pyrrhocoris marginatus
Pyrrhocoris marginatus, KL 6,5 mm
ÜF Pyrrhocoroidea, Pyrrhocoridea
en


Naturkundemuseum Leipzig, Sachsen
Impressum    Fam. Cryptorhamphidae
   Fam. Cymidae
   Fam. Geocoridae
; z.B.: Geocoris
 
      4 Unterfamilien  26 Gattungen etwa 300 Arten
   Fam. Henicocoridae 
   Fam. Heterogastridae
   2 Gattungen
   Fam. Idiostolidae
   2 Gattungen
   Fam. Lygaeidae
  
    6 Unterfamilien 36 Gattungen
   Fam. Malcidae
   Fam. Ninidae
   5 Gattungen
   Fam. Pachygronthidae
   2 Gattungen
   Fam. Rhyparochromidae
   24 Gattungen

ÜF Pyrrhocoroidea  
   Fam. Phyrrocoridae
  4 Gattungen; z.B.: Pyrrhocoris
   Fam. Largidae
  10 Gattungen

Copyright © Mathias Hoffmann 2014