Grafik Stammbaum

Taxa   

Bedienungsanleitung

Kollage Heteroptera
Navigation: Arthropoda/Tracheata/Insecta/Hemiptera/Heteroptera/Pentatomorpha/Pentatomidae
(in Arbeit)  Gliederfüsser/.........../Insekten/Schnabelkerfe/Wanzen/Schildwanzenähnliche/Schildwanzen
home Familie Pentatomidae - Schildwanzen
   10 Unt
erfamilien, ca. 900 Gattungen, mehr als 4700 Arten
   Liste aller Unterfamilien und Triben,
   Bilder überwiegend europäische Arten 
    


Unterfamilie Aphylinae

Unterfamilie Asopinae
   mehr als 60 Gattungen, z.B.: Apateticus, Arma, Euthyrinus, Perillus,
       Mineus,
Picromerus, Podiscus, Rhacognathus, Zicrona
Unterfamilie Cyrtocorinae

Unterfamilie Discocephalinae
 
Tribus Ochlerini;
Gattungen: Brochymena, Caracia,
      Janeirona, Marghita, Ochlerus
Picromerus bidens
Picromerus bidens, KL
UF Asopinae
Getreide-Spitzling Aelia acuminata
Getreide-Spitzling Aelia acuminata,
Tribus Aelini

Arma custos
Arma custos, KL
UF Asopinae
Neottiglossa pusilla
Neottiglossa pusilla,
e
Biotope Unterfamilie Edessinae

Unterfamilie Pentatominae
  Tribus Aelini Douglas & Scott, 1865, Gattungen:
       Aelia Fabricius, 1803, Neottiglossa Kirby, 1837

  Tribus Aeptini Stal, 1971
  Tribus Aeschrocorini Distant, 1902
  Tribus Agaeini Cachan, 1952
  Tribus Agonoscelidini Atkinson, 1888
  Tribus Amyntorini Distant, 1902
  Tribus Antestiini  Distant, 1902

Tiere   Tribus Aulacetrini Mulsant & Rey, 1866
  Tribus Axiagestini Atkinson, 1888
  Tribus Bathycoeliini Atkinson, 1888
  Tribus Cappaeini Atkinson, 1888
  Tribus Carpocorini Mulsant & Rey, 1866, Gattungen:
        Antheminia, Carpocoris, Chlorochroa, Dolycoris, Graphorn, Peribalus,
        Rubiconia, Thestral

  Tribus Catacanthini Atkinson, 1888
  Tribus Caystrini Ahmad & Afzal, 1979
  Tribus Chlorocorini
  Tribus Coquerelini Cachan, 1952
  Tribus Degonetini Azim & Shafee, 1984
  Tribus Diemeniini Kirkaldy, 1902: 14 Gattungen
  Tribus Diplostirini Distant, 1902
  Tribus Diploxyini Atkinson, 1888
  Tribus Eurysaspidini Atkinson, 1888
  Tribus Eysarcorini Mulsant & Rey, 1866,
Gattungen:
        Carbula Stal, 1864, Eysarcoris Hahn,1834
Carpocoris mediterraneus
Carpocoris mediterraneus, KL
Tribus Carpocorini
Palomena prasina

Palomena prasina, KL ,
Tribus Nezarini

Eysarcoris venustissimus
Eysarcoris venustissimus, KL
Tribus Eysarcorini
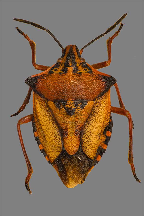
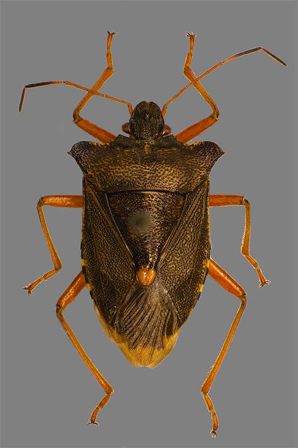
Pentatoma rufipes

Pentatoma rufipes, KL ,
Tribus Pentatomoni,
Pflanzen   Tribus Halyini Amyot & Serville, 1843
  Tribus Hoplistoderini Atkinson, 1888
  Tribus Lestonocorini Ahmad & Mohammad, 1980
  Tribus Mecideini Distant, 1902
  Tribus Memmiini Cachan, 1952
  Tribus Menidini Atkinson, 1888
  Tribus Myrocheini Stal, 1971
  Tribus Nealeriini Cachan, 1952
  Tribus Nezarini Atkinson,1888
; Gattungen: Chinavia,
        Chlorochroa, Palomena
: 20 Arten

  Tribus Opsitomini Cachan, 1952
Kulturen   Tribus Pentamyrmexini
  Tribus Pentatomini Leach, 1815
; 38 Gattungen:
         z.B.: Pentatoma
,
  Tribus Phricodini Cachan, 1952
  Tribus Piezodorini Atkinson, 1888
  Tribus Rhynchocorini Stal, 1871
  Tribus Rolstoniellini Rider, 1997
Sciocoris spec.
Sciocoris spec., KL  ,
Tribus Sciocorini
Eurydema ornata
Eurydema ornata, KL  ,
Tribus Strachiini
Artensterben   Tribus Sciocorini Amyot & Rey, 1866; Gattung Sciocoris
  Tribus Strachiini Mulsant & Rey, 1866
; Gattungen:
     
Stenozygum (Klug, 1845), Erydema Laporte, 1833

UF Phyllocephalinae

zurück      
zum nächsthöheren Taxon
UF Podopinae Amyot & Serville, 1843
  Tribus Graphosomatini, Gattungen:
        z.B.: Ancyrosoma, Crypsinus, Derula, Graphosoma, Ventocoris, Vilpianus
  Tribus Podopini, Gattungen:
        z.B.: Podops,
  Tribus Tarisini, Gattungen:
        z.B.: Dybowskyia
Graphosoma semipunctatum
Graphosoma semipunctatum, KL   ,
UF Podopinae, Tribus Graphosomatini

Sammlung M. Hoffmann im
Ancyrosoma leucogrammes
Ancyrosoma leucogrammes, KL  ,
UF Podopinae, Tribus Graphosomatini

Naturkundemuseum Leipzig
Impressum UF Serbaninae
   eine Art: Serbana borneensis Distant, 1906

UF Stirotarsinae
    eine Art:
Stirotarsus abnormis Bergroth,

Copyright © Mathias Hoffmann 2018