Grafik Stammbaum

Taxa   

Bedienungsanleitung

Kollage Heteroptera
Navigation: Insecta/Hemiptera/Heteroptera/Pentatomorpha/Acanthosomatidae
(in Arbeit)   Insekten/Schnabelkerfe/Wanzen/Schildwanzenähnliche/Stachelwanzen
home Familie Acanthosomatidae - Stachelwanzen
        47 Gattungen, mehr als 200 Arten  

UF Acanthosomatinae Signoret, 1863
        Gattungen: Acanthosoma, Armeenocoris, Amphaces,
        Anaxandra, Catadipson, Cyphostethus, Elasmostethus,
Acanthosoma haemorrhoidale
Acanthosoma haemorrhoidale, KL  ,
UF Acanthosomatinae

Elasmostethus interstinctus
Elasmostethus interstinctus, KL  ,
UF Acanthosomatinae
Biotope         Elasmucha, Eupolemus, Grossaria, Lindbergicoris,
        Mahea, Microdeuterus, Neocensorinus, Oncacontias
,
        Proctophantasta, Rhopalimorpha

Tiere UF Blaudusinae
   
Tribus Blausudini Kumar, 1974; Gattungen:
        Andriscus, Bebaeus, Blaudus, Duadicus, Hiarchas,
        Mochus, Monteithiessa, Panaetius, Stauralia, Xosa


Heidelbeerwanze Elasmucha ferrugata
Heidelbeerwanze Elasmucha ferrugata,
KL  mm, UF Acanthosomatinae

Elasmucha grisea
Elasmucha grisea, KL  ,
UF Acanthosomatinae
Pflanzen    Tribus Lanopini Kumar, 1974; Gattungen:
        Abulites, Acrophyma, Anischys, Cochabambia, Ea,
        Galgacus, hellica, Lanopis, Noualhieridia, Phorbanta,
        Sinopia, Sniploa

      
Kulturen
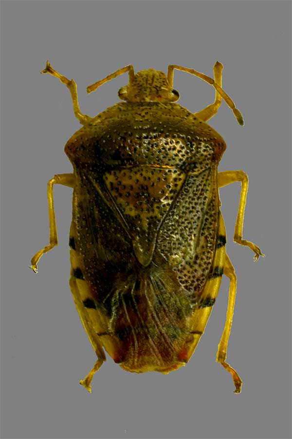
Stachelwanze aus Neuguinea
Stachelwanze aus Neuguinea

e
Artensterben UF Ditomotarsinae Signoret, 1863
   Tribus Ditomotarsini Signoret, 1863
      Gattungen: Archaeoditomarsus, Cylindrocnema,
      Ditomotarsus, Esbenia, Hyperbius, Ibocoris, Mazanoma,
      Nopalis, Planois, Praesus, Roistonus, Tolono,
      Uhlunga

zurück      
zum nächsthöheren Taxon
    Tribus Laccophorellini Kumar, 1974
      Gattungen: Aesepus, Agamedes,
      Laccophorella, Sangarius



V

Sammlung Mathias Hoffmann

e

im Naturkundemuseum Leipzig, Sachsen
Impressum    F

Copyright © Mathias Hoffmann 2018