Stammbaum des Lebens

Taxa

Bedienungsanleitung

Kollage Organismen
Navigation:  Insecta/Coleoptera/Polyphaga/Cucujiformia/Tenebrionoidea
 (in Arbeit)        Insekten/Käfer/........../Plattkäferähnliche/Schwarzkäferartige
home

ÜF Tenebrionoidea Latreille, 1802

                                       - Schwarzkäferartige

 

Liste aller Familien und Unterfamilien weltweit



M
m

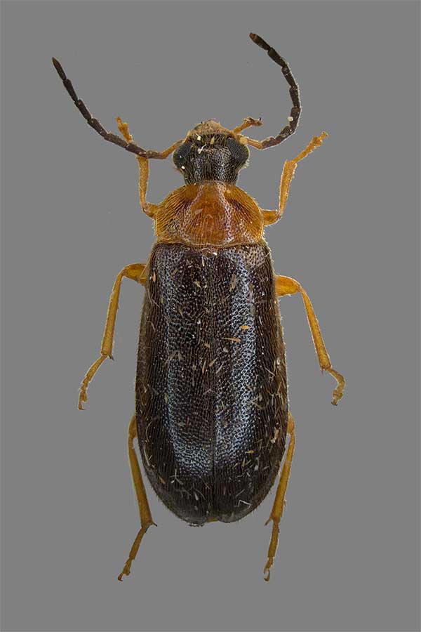
Conopalpus testaceus
Conopalpus testaceus, KL 7mm
Einhornkäfer
Gemeiner Einhornkäfer Notoxos monoceros,
KL 4,5mm, Familie Anthicidae,
UF Anthicinae, Tribus Anthicini

Biotope

Familie Aderidae Winkler, 1927

   Tribus Aderini Csiki, 1909

       Subtriben: Aderina, Cnopina, Gompeliina, Syzetoninina

   Tribus Emelinini Báguena Corrella, 1948

        Gattungen:

   Tribus Euglenesini Seidlitz, 1875

        Subtriben: Euglenesina, Pseudolotelina

   Tribus Phytobaenini Báguena Corrella, 1948

       Gattungen:

 

Familie Anthicidae Latreille, 1819 - Blütenmulmkäfer

       ca. 100 Gattungen, über 3.000 Arten 

 UF Anthicinae Latreille, 1819 

      Triben: Anthicini  Foto, Endomiini, Formicomini, Microhorini 

 UF Copobaeninae Abdullah, 1969

       Gattung: Copobaenus

 UF Eurygeniinae LeConte, 1862

       Gattungen: Diacalla, Egestria, Egestrina, Egestriomima, Eurygenius,

       Ictistygna, Macratriomima, Pogonoceromorphus, Pseudobactrocerus,

       Stereopalpus, Telesinus 

 UF Lemodinae

        Gattungen: Cotes, Lemodes, Lemodicarmenia, Lemodinus, Protoanthicus,

       Trichananca, Zealanthicus 

Tiere

 UF Macratriinae LeConte, 1862

   Tribus Macatriini: Gattung: Macatria

 UF Steropinae Jacquelin du Val, 1863

       Gattungen: Anisotria, Steropes

 UF Tomoderinae

       Gattungen: Bogosus, derarimus, Elgonidium, Holcopyge, Macrotomoderus,

       Pseudotomoderus, Rimaderus, Tomoderus

 

Familie Archeocrypticidae Kaszab, 1964

        Gattungen: Archeocrypticus, Australenneboeus, Enneboeopsis, Enneboeus,

       Falsoplatydema, Dodwanenneboeus, Nothenneboeus, Pseudenneboeus,

       Sivacrypticus, Wattianus 

 

Familie Boridae C. G. Thomson, 1859

 UF Borinae

        Gattungen: Boros, Lecontia

 UF Synercticinae

        Gattung: Synercticus

 

Familie Chalcodryidae Watt, 1974

        Gattung: Chalcodrya, Philpottia

 

Familie Ciidae Leach, 1819

 UF Ciinae Leach, 1819

        47 Gattungen

 UF Sphindociinae Lawrence, 1974

        Gattung: Sphindocis



Video Maiwurm Meloe proscarabaeus, Brachwitz, Sachsen-Anhalt, 2014
, Familie Meloidae

m

Ölkäfer Meloe proscarabaeus
Ölkäfer Meloe proscarabaeus, bei Wettin,
Sachsen-Anhalt, 9. 4. 2015
Fam. Meloidae, UF Meloinae

Litargus connexus
Litargus connexus, KL 3mm,
Fam. Mycetophagidae, UF Mycetophaginae

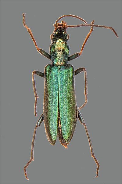
Calopus serraticornis
Calopus serraticornis, KL 17mm,
Familie Oedemeridae - Scheinbockkäfer

Scheinbockkäfer
Scheinbockkäfer  Oedemera spec.,
Auwald südl. Schkeuditz, VI. 2017
Familie Oedemeridae, UF Oedemeridae

Scheinbockkäfer Oedemera spec. (lurida?)
Scheinbockkäfer Oedemera spec., bei Teuchern, Bayern, V. 2015
F
amilie Oedemeridae, UF Oedemeridae

Feuerkäfer Pyrochroa spec.

Feuerkäfer Pyrochroa spec., Bienitz, Leipzig-Rückmarsdorf, 11.05.2016,
Familie Pyrochroidae, UF Pyrochroinae

Feuerkäferlarve Pyrochroa spec.
Feuerkäferlarve Pyrochroa spec., Auwald bei Leipzig-Gundorf, 08. 03. 2016,
Familie Pyrochroidae, UF Pyrochroinae

Feuerkäfer Pyrochroa spec.
Feuerkäfer Pyrochroa spec., Thüringer Hütte, Rhön, Bayern, 04. 06. 2018, Familie Pyrochroidae, UF Pyrochroinae
m

m


Ölkäfer Mylabris spec.
Ölkäfer Mylabris spec.,

Mycetophagus quadripustulatus
Mycetophagus quadripustulatus, Kl 5mm,
Fam. Mycetophagidae, UF Mycetophaginae

Mycetophagus piceus
Mycetophagus piceus, KL 4,3mm,
Fam. Mycetophagidae, UF Mycetophaginae

Scheinbockkäfer
Scheinbockkäfer Oedemera spec.,

Familie Oedemeridae, UF Oedemeridae

Feuerkäfer Pyrochroa spec.
Feuerkäfer Pyrochroa serraticornis, Leutratal bei Maua, 07. 05. 2017, Familie Pyrochroidae, UF Pyrochroinae

Larve Feuerkäfer
Larve Feuerkäfer
ÜF Tenebrionoidea , Familie Pyrochroidae


Feuerkäfer Pyrochroa serraticornis
Feuerkäfer Pyrochroa serraticornis, Auwald südl. Schkeuditz, Sachsen, 16. 05. 2017, Familie Pyrochroidae, UF Pyrochroinae
Pflanzen

Familie Melandryidae Leach, 1815

 UF Melandryinae Leach, 1815

    Triben: Anisoxellini, Dircaeini, Hypulini, Melandryini,

    Orchesiini, Serropalpini, Xylitini, Zilorini 

 UF Osphyinae

         Gattungen: Conopalpus Foto, Osphya

 

Familie Meloidae Gyllenhal, 1810 - Ölkäfer

 UF Eleticinae Wellmann, 1910

    Triben: Derideini, Eleticini, Morphozonitini, Spasticini

 UF Meloinae Gyllenhal, 1810

    Triben: Cerocomini, Epicautini, Eupomphini,

     Lyttini, Meloini Foto , Mylabrini Foto, Pyrotini 

 UF Nemognathinae Laporte, 1840

    Triben: Horiini, Nemognathini, Sitarini 

 UF Tetraonycinae Boving & Craighead, 1931

    Tribus: Tetraonycini: 3 Gattungen 

 

Kulturen

Familie Mordellidae Latreille, 1819

 UF Ctenidiinae Franciscolo, 1951

       Gattung Ctenidia

 UF Mordellinae

    Triben: Conaliini, Mordellini, Mordellistenini,

   Reynoldsiellini, Stenaliini

 

Familie Mycetophagidae Leach, 1815

 UF Bergininae Leng, 1920

       Gattungen: Berginus, Nesolathrus

 UF Esarcinae

       Gattung Esarcus

 UF Mycetophaginae Leach, 1815

       19 Gattungen: z.B.: Litargus  Foto,  Mycetophagus  Foto

 

Familie Mycteridae Blanchard, 1845

 UF Eurypinae Thomson, 1860

       30 Gattungen 

 UF Hemipeplinae Lacordaire, 1854

       Gattungen: Hemipeplus, Holopeplus

 UF Mycterinae  Blanchard, 1845

       Gattung Mycterus 

 

Fam. Oedemeridae Latreille,1810 - Scheinbockkäfer

 UF Calopodinae Costa, 1852

       Gattungen Calopus, Sparedrus

 UF Oedemerinae Latreille, 1810 - Scheinbockkäfer s.s.

   Triben: Asclerini, Ditylini, Nacerdini, Oedemerini  Foto

 

Artensterben

Familie Promecheilidae Lacordaire, 1859

      Gattungen: Chanopterus, Hydromedion, Melytra, Parahelops, Perimylops,

      Promecheilus, Pseudodarwinella, Sirrhar 

 

Familie Prostomidae C. G. Thomson, 1859

       Gattungen: Dryocora, Prostomis

 

Familie Pterogeniidae Crowson, 1953

      Gattungen: Anogenius, Histanocerus, Katagenius, Kryptogenius,

      Laenagenius, Pterogenius, Tychogenius 

 

Fam. Pyrochroidae Latreille, 1807 - Feuerkäfer

 UF Agnathinae Lacordaire, 1859

       Gattungen: Agnathus, Cononotus

 UF Pedilinae

       Gattung Pedilus

 UF Pilipalpinae Abdullah, 1964

       Gattungen: Binburrum, Cycloderus, Exocalopus, Incollogenius, Malagaethes,

       Morpholycus, Paromarteon, Pilipalpus, Ranomafana, Techmessa,

       Techmessodes, Temnopalpus 

 UF Pyrochroinae Latreille, 1807 - Feuerkäfer s.s.

       Gattungen: Dendroides, Dendroidopsis, Eupyrochroa, Frontodendroidopsis,

       Hemidendroides, Himalapyrochroa, Neopyrochroa, Phyllocladus,

       Pogonocerus, Pseudodendroides, Pseudopyrochroa, Pyrochroa  Foto

      Schizotus, Sinodendroides, Sundapyrochroa 

  

Familie Pythidae Solier, 1834

       Gattungen: Anaplopus, Ischyomus, Priognathus, Phyto, Sphalma

 

Familie Ripiphoridae Gemminger & Harold, 1870

 UF Hemirhipidiinae Heller, 1921

       Gattungen: Hemirhipidius, Heteromeroxylon, Nephrites, Sitarida 

 UF Pelecotominae

       Gattungen: Allocinops, Clinopalpus, Clinops, Elytroxystrotus, Euctenia,

       Geoscopus, Micropelecotoides, Pelecotoma, Rhipistena, Sharpides,

       Spinotoma, Trigonodera 

 UF Ptilophorinae Gerstaecker, 1855

       Gattung Ptilophorus

 UF Pipidiinae

    Tribus Eorhipidiini Iablokoff- Khnzorian, 1986: eine Gattung

    Tribus Ripidiini; 16 Gattungen

 UF Ripiphorinae Gemminger & Harold, 1870 

    Tribus Macrosiagonini

       Gattungen: Macrosiagon, Metoecus 

    Tribus Ripiphorini Gemminger & Harold, 1870

       Gattung Ripiphorus

 

Familie Salpingidae Leach, 1815

 UF Aegialitinae

       Gattungen: Aegialites, Antarcticodomus, Elosoma

 UF Agleninae

        Gattung Aglenus 

 UF Dacoderinae 

        Gattungen: Dacoderus, Myrmecoderus, Tretothorax 

 UF Inopeplinae

        Gattungen: Aciphus, Diagrypnodes, Inopeplus, Istrisia, Uruminopeplus

 UF Lissodeminae

        Gattung Lissodema 

 UF Othniinae 

        Gattungen: Elacatis, Parelacatis

 UF Prostominiinae

        Gattung Serrotibia 

 UF Salpinginae Leach, 1815

        Gattungen: Austrosalpingus, Cariderus, Colposis, Oncosalpingus,

       Poophylax, Rabocerus, Salpingoides, Salpingus, Trichocolposinus,

       Sphaeriestes, Vincenzellus 

 

zurück      
zum nächsthöheren Taxon
Familie Scraptiidae Gistel, 1848
 UF Anaspidinae
Mulsant, 1856
   Triben: Anaspidini, Anaspimordini, Menuthianaspidini,
   Pentariini, 

 UF Scraptiinae Mulsant, 1856
   Tribus Allopodini
       Gattungen: Allopoda, Evalces, Pseudoscraptia
   Tribus Scraptiini: 12 Gattungen

Familie Stenotrachelidae C. G. Thomson, 1859
 UF Cephaloinae
       Gattung Cephaloon
 UF Nematoplinae
       Gattung: Nematoplus
 UF Stenotrachelinae
       Gattungen: Anelpistus, Scotodes, Stenocephaloon, Stenotrachelus
 UF Stoliinae Nikitsky, 1985
       Gattung Stolius

Familie Synchroidae Lacordaire, 1859
       Gattungen: Mallodrya, Synchroa, Synchroina, Thescelosynchroa

Familie Tenebrionidae Latreille, 1802
  UF Alleculinae
Laporte, 1840: 3 Triben, 40 Gattungen
  UF Cossyphodinae
  UF Diaperinae
Latreille, 1802: 11 Triben  z.B.: Hypophloeus Foto
  UF Kuhitangiinae
  UF Lagriinae
Latreille, 1825: 9 Triben
  UF Nilioninae: Gattung Nilio
  UF Phrenapatinae:  3 Triben
  UF Pimeliinae Latreille, 1802: 51 Triben
  UF Stenochiinae Kirby, 1837:  3 Triben
  UF Tenebrioninae Latreille, 1802: 30 Triben
  UF Zolodininae Watt, 1975:
 2 Gattungen
Hypophloeus unicolor
Hypophloeus unicolor, KL 5mm,
Familie Tenebrionidae, UF Diaperinae

Schwarzkäfer Erodius goryi

Schwarzkäfer Erodius goryi,
Familie Tenebrionidae


Länglicher Fadensaftkäfer Colydium elongatum
Länglicher Fadensaftkäfer
Colydium elongatum
, KL 6mm,
Familie Zopheridae, UF Colydiinae

m

Hypophloeus bicolor
H
ypophloeus bicolor, KL 3,5mm,
Familie Tenebrionidae, UF Diaperinae

Totenkäfer Blaps spec.
T
otenkäfer Blaps spec., KL 24 mm,
Familie Tenebrionidae



s
Impressum

Familie Tetratomidae Billberg, 1820

  UF Eustrophinae: Triben: Eustrophini, Holostrophini 

  UF Hallomeninae: Gattungen Hallomenus, Mycetoma

  UF Penthinae: Gattungen: Cyanopenthe, Penthe

  UF Piseninae: Gattungen Notopisenius, Pisenius, Triphyllia 

  UF Tetratominae Billberg, 1820: 2 Gattungen

 

Familie Trachelostenidae

      Gattungen Lagriola, Trachelostenus

 

Fam. Trictenotomidae

      Gattungen: Autocrates, Trictenotoma

 

Familie Ulodidae Pascoe, 1869

     16 Gattungen  

 

Familie Zopheridae Solier, 1834

  UF Colydiinae Erichson, 1842:  9 Triben   Foto

  UF Zopherinae Solier, 1834:  6 Triben  

Copyright © Mathias Hoffmann 2019