Stammbaum der Lebewesen

Taxa

Bedienungsanleitung

Kollage Käfer
Navigation:  Metazoa/Arthropoda/Insecta/Coleoptera/Polyphaga/Cucujiformia
                       Vielzeller/Gliederfüsser/Insekten/Käfer/..................../Plattkäferartige

home Familiengruppe Cucujiformia
   98 Familien
  Liste aller Familien weltweit

Überfamilie Cleroidea Buntkäferähnliche
   ca. 10.000 Arten

  Familie Phloiophilidae: eine Art
  Familie Peltidae
  Fam.
Cleridae Buntkäfer: ca.200 Gtg.,3.400 Arten Foto
  Familie Chaetosomatidae
: 3 Gattungen, 11 Arten
  Fam. Dasytidae
  Wollhaarkäfer: 25 Gtg., ca. 45 Arten
  Familie Melyridae
: 58 Gattungen, etwa 520 Arten

  Fam. Malachiidae
Zipfelkäfer: ca. 3.000 Arten  Foto
  Fam. Trogossitidae
Jagdkäfer: 3 UF, über 600 Arten
  Familie Acanthocnemidae
: eine Art
Ameisenbuntkäfer Dübener Heide
Video: Ameisenbuntkäfer Thanasimus formicarius Hachemühle, Dübener Heide, Sachsen, 2002, ÜF Cleroidea, Fam. Cleridae
Endomychidae Gunung Singalang, West-Sumatra
Stäublingskäfer am Gunung Singalang, West-Sumatra 2003, Cucujoidea  Endomychidae 
Plattkäfer Dübener Heide
Raubplattkäfer Uleiota planata,
Auwald, Leipzig, 2004,
ÜF Cucujoidea, Fam. Silvanidae
Video
Gemeiner Bienenwolf
Gemeiner Bienenwolf
Trichodes apiarius
,
ÜF Cleroidea, Fam. Cleridae
Werftkäfer aus Äthiopien

Werftkäfer, ex Äthiopien,
ÜF Lymexyloidea
Fam. Lymexelidae

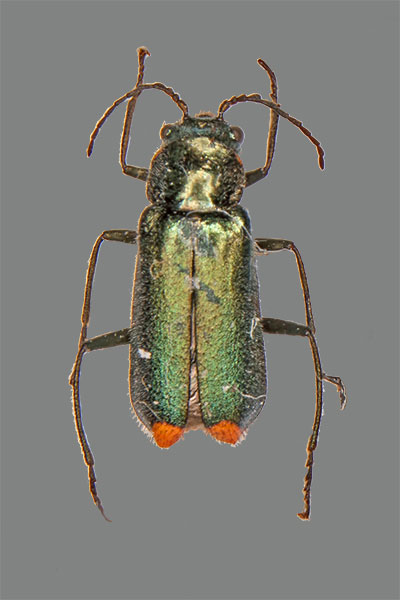
Zweifleckiger Zipfelkäfer 
Zweifleckiger Zipfelkäfer Malachius bipustulatus,
ÜF Cleroidea, Fam. Malachidae

Vierfleckiger Kiefernglanzkäfer Glischrochilus quadripunctatus
Vierfleckiger Kiefernglanzkäfer Gischroschulus quadri-punctatus, Fam. Nitidulidae
Biome ÜF Lymexyloidea - Werftkäferähnliche
  Fam. Lymexylidae Werftkäfer:  ca. 50 Arten  Foto 
  
ÜF Cucujoidea - Plattkäferähnliche

  Fam. Nitidulidae Glanzkäfer
11 Unterfamilien 
  Familie Cybocephalidae
- Schildlauskäfer
  Familie Rhizophagidae
Rindenglanzkäfer
  Fam. Monotomidae
  Detrituskäfer  33 Gattungen
  Familie Boganidae
  Familie Cucujidae
- Plattkäfer  59 Arten
Tiere   Familie Phalacridae - Glattkäfer   638 Arten
  Familie Protocucujidae
  Fam. Sphindidae - Staubpilzkäfer  8 Gattungen
  Familie Aspidiphoridae - Kugelpilzkäfer
  Familie Hobartiidae
  Familie Passandridae   9 Gattungen, 109 Arten
  Familie Phloeostichidae
  Familie Cavognathidae
  Fam. Cryptophagidae Schimmelkäfer  ca. 600 Arten
  Fam. Hypocopridae - Kurzdeckenplattkäfer
  Familie Helotidae
  Fam. Byturidae Blütenfresser 2 Unterfamilien
  Fam. Biphyllidae  Pilzplattkäfer  195 Arten
  Familie Propalticidae   43 Arten
  Familie Lamingtoniidae  eine Art
  Familie Languriidae

Ölkäfer, Maiwurm
Ölkäfer, Maiwurm,  Blasenkäfer
Meloe proscarabaeus
,

ÜF Cucujoidea, Familie Meloidae

Ölkäfer Arba Minch, Äthiopien
Ölkäfer Arba Minch, Äthiopien, 2010,
ÜF Tenebrionoidea , Familie Meloidae
Coccinella quinquepunctata
Siebenpunkt
Coccinella septempunctata,
ÜF Cucujoidea, Coccinellidae

Scheinbockkäfer
Scheinbockkäfer Oedemera spec., ÜF TenebrionoideaFam. Oedemeridae
Pflanzen

  F.Endomychidae Stäublingskäfer 1.300 Arten Foto
  Fam. Erotylidae Pilzkäfer über 100 Gattungen
  Fam.Coccinellidae Marienkäfer 8 Unterfamilien Foto
  Fam. Silvanidae Raubplattkäfer ca. 500 Arten  Foto
  Fam. Cerylonidae Glattrindenkäfer ca. 450 Arten
  Fam. Corylophidae Faulholzkäfer  ca. 120 Arten

Kulturen   Familie Discolomatidae
  Familie Merophysiidae
  Fam. Latridiidae
Moderkäfer
  ca. 1050 Arten

ÜF Tenebrionoidea
- Schwarzkäferähnliche
  F.Aderidae Baummulmkäfer 50 Gattungen, ca.1.000 Arten   Fam. Anthicidae Blütenmulmkäfer  über 3.500 Arten
  Fam. Archaeocrypticidae  10 Gattungen, 50 Arten  
  Familie Boridae  3 Gattungen, 4 Arten
  Familie Chalcodryidae  4 Gattungen, 17 Arten
  Familie Ciidae
- Schwammkäfer 3 Unterfamilien 
  Familie Lagriidae
- Wollkäfer   Foto
  Fam. Melandryidae
Düsterkäfer 40 Gtg., 100 Arten
  F. Meloidae
Ölkäfer 4 Unterfamilien, 7.500 Arten  Foto
  Fam. Mordellidae
Stachelkäfer ca. 1.500 Arten
  F. Mycetophagidae
Baumschwammkäfer 200 Arten
  F. Mycteridae
Haarscheinrüßler 30 Gtg., ca. 160 Arten
  F. Oedemeridae
Scheinbockkäfer 1.500 Arten Foto
  Familie Perimylopidae
  Familie Prostomidae
 2 Gattungen, 20 Arten


WollkäferWollkäfer Lagria spec.,
Müllberg Zschocher, Leipzig, 2013,
ÜF Tenebrionoidea , Fam. Lagriidae

Schwarzkäfer Blaps mucronata
Schwarzkäfer Blaps mucronata, Leipzig, 1981, Terrarium
ÜF  Tenebrionoidea, Fam Tenebrionidae


Pflanzenkäfer auf Flores, Indonesien

Video Pflanzenkäfer auf Flores,
Indonesien, 2002, ÜF Tenebrionoidea ,
Fam. Tenebrionidae, UF Alleculinae
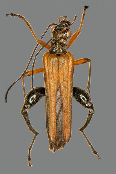
Leptura rubra Weibchen
Rothalsbock Leptura rubra Weibchen, bei Söllichau, Dübener Heide, 2002,
ÜF Chrysomeloidea, Fam. Cerambycidae



Breitrüssler aus Neuguinea
Breitrüssler Eugigas schoenherri
aus Neuguinea, 1999,
ÜF Curculionoidea,
Familie Anthribidae
Stachelkäfer
Stachelkäfer Mordella spec.,
ÜF Tenebrionoidea, Familie Mordellidae

Spanische Fliege
Spanische Fliege Lytta versicatoria, Tenebrionoidea, Familie Meloidae
Blatthähnchen
Blatthähnchen Oulema erichsoni, ÜF Chrysomeloidea, Fam. Chrysomelidae
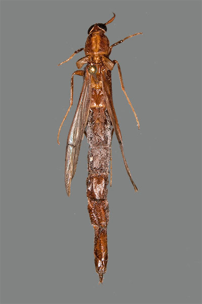
Brentidae aus Neuguinea
Langkäfer Neuguinea, 1999,
ÜF Curculionoidea,
Familie Brenthidae
Scharlachroter Feuerkäfer
Scharlachroter Feuerkäfer Pyrochroa coccinea
ÜF Tenebrionoidea
Schwefelkäfer
Schwefelkäfer Cteniopus sulphureus,ÜF Tenebrionoidea  Tenebrionidae, UF Alleculinae
Schildkäferlarve mit Kotmaske
Schildkäferlarve mit Kotmaske, ÜF Chrysomeloidea,
Fam. Chrysomelidae
Rüsselkäfer aus Neuguinea
Rüsselkäfer Eupholus dehuyi
aus Neuguinea, 1999,
ÜF Curculionoidea,
Familie Curculionidae
Artensterben   Familie Pterogeniidae
  Fam. Pyrochroidae
Feuerkäfer  150 Arten  Foto
  Fam. Pythidae
Drachenkäfer 10 Gattungen, 17 Arten
  Fam. Rhipiphoridae
Fächerkäfer ca. 450 Arten
  F. Salpingidae
Scheinrüssler 45 Gattungen, ca. 300 Arten
  F. Scraptiidae
Seidenkäfer 30 Gattungen, ca.400 Arten
  Fam. Stenotrachelidae 6 Gattungen. 20 Arten
  Familie Synchroidae  3 Gattungen, 9 Arten
  F.Tenebrionidae
Schwarzkäfer 10 Unterfamilien Foto
  Familie Tetratomidae  12 Gattungen
  Familie Trachelostenidae
  Familie Trictenotomidae
   13 Arten   Foto
  Familie Ulodidae
  Familie Zopheridae
 6 Unterfamilien, ca. 100 Gattungen
       
zurück      
zum nächsthöheren Taxon

ÜF Chrysomeloidea - Blattkäferähnliche
  F. Cerambycidae Bockkäfer 10 Unterfamilien Foto
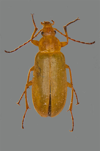
  F.Chrysomelidae Blattkäfer über 37.000 Arten Foto  
  Familie Disteniidae  4 Unterfamilien
  Fam. Megalopodidae 3 Unterfamilien, 30 Gattungen

  Familie Orsodacnidae  2 Unterfamilien
  Familie Oxypeltidae  2 Gattungen, 3 Arten
  Familie Vesperidae  3 Unterfamilien

Impressum

ÜF Curculionoidea - Rüßlerartige

    96.700 Arten

 

  F. Anthribidae Breitrüßler  3 Unterfamilien   Foto

  Fam. Attelabidae Dickkopfrüssler  5 Unterfamilien

  Familie Belidae  2 Unterfamilien

  Familie Brenthidae 6 Unterfamilien  Foto

  Familie Caridae  4 Gattungen

  F. Curculionidae Rüsselkäfer 5.489 Gattungen  Foto

  Fam. Nemonychidae Schlankrüßler  3 Unterfamilien 

 

 

Copyright © Mathias Hoffmann 2018