Stammbaum Organismen

Taxa 

Bedienungsanleitung

Kollage Organismen
Navigation:  Metazoa/Arthropoda/Tracheata/Insecta/Mantodea/Hymenopodidae
(in Arbeit)     Vielzeller/Gliederfüsser/............/Insekten/Fangschrecken/.......
home



Biotope

Familie Hymenopodidae

    44 Gattungen   223 Arten 

 

Subfamilia Epaphroditinae

  Tribus Phyllocranini

    Genera: Epaphodita, Parablepharis, Phyllocrania,

               Amphecostephanus

 

Subfamilia Acromantinae

  Tribus Acromantini

    Genera: Anaxarcha, Heliomantis, Oligomantis, Rhomantis, 

               Psychomantis, Citharomantis, Acromantis,

               Anasigerpes, Metacromantis, Ephippiomantis,

               Catasigerpes, Oxypiliodea, Euantissa, Odontomantis,

               Hestiasula, Parahestiasula, Chrysomantis, Otomantis,

               Anoplosigerpes

 

 

Fangschrecke Männchen Phyllocrania paradoxa
Fangschrecke Phyllocrania paradoxa, Männchen, Terrarium, Leipzig, 2000,
UF Epaphroditinae
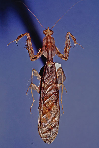
Fangschrecke Parablepharis kuhlii
Fangschrecke Parablepharis kuhlii
2002,
UF Epaphroditinae
Tiere

Pflanzen

Kulturen

Artensterben

Subfamilia Oxypilinae

  Tribus Oxypilini


   Genera: Oxypilus, Junodia, Ceratomantis, Pseudoxypilus,
                Pachymantis

 

Subfamilia Hymenopidinae

  Tribus Hymenopodini

    Genera: Chloroharpax, Panurgia, Parhymenopus,
                 Hymenopus, Creobrother, Helvia, Pseudoharpax,
                 Congoharpax, Galinthias, Attalia, Harpagomanthis,
                 Chlidonoptera, Pseudocreobotra, Theopropus

Fangschrecke Imago Acromantis oligoneura
Fangschrecke Imago Acromantis oligoneura, UF Acromantinae
Blütenmantis Weibchen Theopropus elegans
Blütenmantis Theopropus elegans, Weibchen
Blütenmantis Kopula Creobrother pictipennis
Blütenmantis Kopula Creobrother pictipennis, Terrarium, leipzig, 1999
UF Hymenopodinae
Afrikanische Blütenmantis Pseudoharpax spec.
Afrikanische Blütenmantis Pseudoharpax spec.,
ex Äthiopien, 2010
zurück      
zum nächsthöheren Taxon
 
Impressum

 

 

 

Systematik nach Ehrmann & Roy, 2002

Quelle: Ehrmann, Reinhard; Mantodea: Gottesanbeterinnen der Welt;

Natur und Tier - Verlag GmbH, Münster, 2002

Copyright © Mathias Hoffmann 2014