Stammbaum Organismen

Taxa   

Bedienungsanleitung

Kollage Heteroptera
Navigation: Arthropoda/Tracheata/Insecta/Hemiptera/Heteroptera/Leptopodomorpha
(in Arbeit)    Gliederfüsser/............/Insekten/Schnabelkerfe/Wanzen
home TO Leptopodomorpha

Familie Saldidae - Uferwanzen
       13 Gattungen
 

G
e

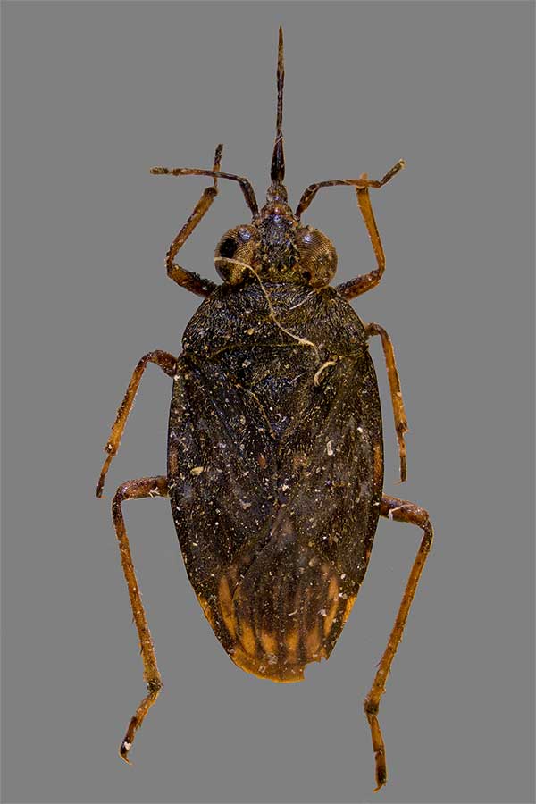
Uferwanze, Saldula spec.
Uferwanze, Saldula spec., KL 3,5 mm,
Familie Saldidae - Uferwanzen,
Biotope Familie Leptopodidae

n
Tiere Ü
e

 
Pflanzen Familie Omaniidae

e


Kulturen Familie Aepophilidae

e

 
Artensterben F

e
zurück      
zum nächsthöheren Taxon
T
n

 


U
g

Impressum F

e

Copyright © Mathias Hoffmann 2018