Stammbaum des Lebens

Taxa

Bedienungsanleitung

Kollage Organismen
Navigation: Arthropoda/Tracheata/Insecta/Coleoptera/Polyphaga/Cucujiformia/Tenebrionidae
 (in Arbeit)   Gliederfüsser/............/Insekten/Käfer/...................../Plattkäferartige/Schwarzkäfer
home

Familie Tenebrionidae - Schwarzkäfer

    ca. 20.000 Arten


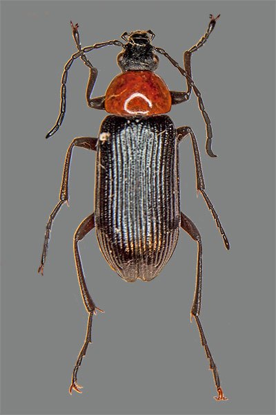
Pflanzenkäfer Omophlus spec.
Pflanzenkäfer Omophlus spec.,
KL 12 mm,
UF Alleculinae, Tr. Omophlini
Pflanzenkäfer Cteniopus spec.
Pflanzenkäfer Cteniopus spec,
KL 10 mm
UF Alleculinae,  Cteniopodini
 Metallfarbener Schwarzkäfer
Metallfarbener Schwarzkäfer
Scaphidema metallicum,
KL 4 mm, UF Diaperinae
Biotope

UF Alleculinae Laporte, 1840

   Tr. Alleculini Laporte de Castelnau,1840; 5 Gattungen

   Tribus Cteniopodini Solier, 1835;   2 Gattungen

   Tribus Gonoderini Seidlitz, 1896;   3 Gattungen 

  Tribus Mycetocharini Mulsant, 1856;   2 Gattungen

   Tribus Omophlini Mulsant, 1856;   7 Gattungen

 

Tiere

UF Cossyphodinae Wasmann, 1899

 

UF Diaperinae Latreille, 1802 
   Tribus Diaperini

    Tribus Gnathidiini

    Tribus Scaphidemini;  z.B.: Gattung Scaphidema

    Tribus Crypticini;  z.B.:  Gattung Crypticus

    Tribus Phaleriini

    Tribus Hypoplaeini 

    Tribus Myrmechixenini

    Tribus Trachyscelini 

Crypticus quisquillus
Crypticus quisquillus, KL 6 mm,
UF Diaperinae

Sepidium bidentatum
Sepidium bidentatum,
KL 13 mm, UF Pimeliinae,
Tribus Sepidiini
Schwarzkäfer Asida alcarazensis
Asida alcarazensis,
KL 15 mm, UF Pimeliinae,
Tribus Asidini

Schwarzkäfer Erodius goryi
Schwarzkäfer
Erodius tibialis
,
UF Pimeliinae, Tr. Erodiini
Schwarzkäfer
Schwarzkäfer
Pimelia costata, KL
UF Pimeliinae, Tribus Pimeliini

Schwarzkäfer Tentyria andalusia
Schwarzkäfer
Tentyria andalusia
,
UF Pimeliinae, Tr. Tentyrini
Pflanzen

UF Lagriinae Latreille, 1825 (1820)

    Tribus Lagriini; 

    Tribus Goniaderini; 

    Tribus Belopini; 

UF Nilioninae Lacordaire, 1859

 

UF Phrenapatinae Solier, 1834

    Tribus Penetini;   

Kulturen

UF Pimeliinae Latreille, 1802

    Tribus Adelostomini;   4 Gattungen

    Tribus Adesmiini;  13 Gattungen

    Tribus Akidini;    5 Gattungen

    Tribus Asidini;    49 Gattungen, z.B.: Asida

    Tribus Cnemeplatiini;   7 Gattungen 

    Tribus Cryptochilini;   5 Gattungen

    Tribus Epitragini;   8 Gattungen

    Tribus Erodiini;   36 Gattungen,  z.B.: Erodius

    Tribus Lachnogyini;   2 Gattungen

    Tribus Nycteliini;   12 Gattungen

    Tribus Pimeliini;   15 Gattungen, z.B.: Pimelia  

    Tribus Praociini;   11 Gattungen

    Tribus Scotobiino;   2 Gattungen

    Tribus Sepidiini;   9 Gattungen, z.B.: Sepidium 

    Tribus Stenosini;   11 Gattungen

    Tribus Tentyriini;   19 Gattungen, z.B.: Tentyria

    Tribus Zophosini;  7 Gattungen  

Totenkäfer Blaps reflexa
Totenkäfer Blaps reflexa,
KL 20 mm
UF Tenebrioninae, Blaptini
Micrositus ulyssiponensis
Micrositus ulyssiponensis,
KL 11 mm
UF Tenebrioninae, Dendarini

Totenkäfer Blaps mucronata
Totenkäfer Blaps mucronata, KL 21 mm
UF Tenebrioninae, Blaptini
Schwarzkäfer Phylan gibbus
Schwarzkäfer Phylan gibbus,
KL 7 mm
UF Tenebrioninae, Dendarini
Totenkäfer Blaps hispanica
Totenkäfer Blaps hispanica,
KL 38 mm, UF Tenebrioninae, Helopini
Cylindronotus aeneus
Cylindronotus aeneus,
KL 15 mm,
UF Tenebrioninae, Helopini
Artensterben

UF Stenochiinae Kirby, 1837

    Tribus Cnodalonini

    Tribus Stenochiini

    Tribus Talanini 

zurück      
zum nächsthöheren Taxon

UF Tenebrioninae Latreille, 1802

    Tribus Acropteronini

    Tribus Alphitobiini Reiter, 1917;   2 Gattungen

    Tribus Amarygimini;    2 Gattungen 

    Tribus Apocryphini; 

    Tribus Blaptini;   5 Gattungen, z.B.:  Blaps,

    Tribus Dendarini Espanol, 1945; 

               6 Gattungen, z.B.: Micrositus, Phylan

    Tr. Helopini Latreille, 1802; 23 Gattungen

                z.B.: Stenomax, Helops, Nalassus, Cylindronotus

    Tribus Palorini Matthews, 2003;   9 Gattungen

    Tr. Pedinini Eschscholtz, 1829;

                Gattungen z.B.: Pedinus, Heliopates

    Tr. Platyscelidini Lacordaire, 1859;   2 Gattungen

    Tribus Praeugenini;

    Tribus Rhyssopausini;

    Tribus Scaurini;  z.B.: Scaurus

    Tribus Scotobiinis;

    Tribus Tenebrionini Latreille, 1802;  

                8 Gattungen, z.B.: Tenebrio, Zophobas

    Tribus Bolitophagini Kirby, 1837;   7 Gattungen

    Tribus Cebtronopini;

    Tribus Cerenopini;

    Tribus Dissonomini;

    Tribus Eulabini;

    Tribus Heleini;  Gattung Mimopeus

    Tribus Helopinini;

    Tr. Heterotarsini LeConte, 1862Gattung Heterotarsus

    Tribus Leichenini Leng, 1920;

    Tribus Melanimini;

    Tr. Opatrini Brullé, 1832; z.B.: Gattung Opatrum, Melanimon

    Tribus Titaenini;   8 Gattungen

    Tribus Toxicini Lacordaire, 1859;

    Tr. Triboliini Mulsant, 1854;  11 Gattungen, z.B.: Tribolium

    Tribus Ulomini Blanchard, 1845;

               4 Gattungen, z.B.:  Uloma 

Nalassus laevioctostriatus
Nalassus laevioctostriatus,
KL 9 mm, UF Tenebrioninae, Helopini

Mehlkäfer Tenebrio molitor
Mehlkäfer Tenebrio molitor,
KL 13 mm,
UF Tenebrioninae, Tenebrionini
Gemeiner Staubkäfer
Gemeiner Staubkäfer
Opatrum sabulosum, KL 9 mm,
UF Tenebrioninae, Opatrini
Schwarzkäfer Heliopates ibericus
Schwarzkäfer Heliopates ibericus, UF Tenebrioninae, Pedinini
Schwarzkäfer Zophobas opacus
Schwarzkäfer Zophobas opacus, KL 25 mm
Tenebrioninae, Tenebrionini
Schwarzkäfer Uloma rufa
Schwarzkäfer Uloma rufa,
KL 8 mm, UF Tenebrioninae, Tribus Ulomina
Schwarzkäfer Scaurus punctatus
Schwarzkäfer Scaurus punctatus,
KL

UF Tenebrioninae, Scaurini
Zophobas morio
Zophobas morio im Terrarium
Tenebrioninae, Tenebrionini

Schwarzkäfer Uloma culinaris
Schwarzkäfer Uloma culinaris,
KL 11 mm, UF Tenebrioninae, Tribus Ulomina
Impressum

UF Zolodininae Watt, 1974

 

Copyright © Mathias Hoffmann 2014