Grafik Stammbaum des Lebens

Taxa

Bedienungsanleitung

Kollage Organismen
Navigation: Insecta/Hymenoptera/Symphyta/Tenthredinoidea/Tenthredinidae
                   Insekten/Hautflügler/Pflanzenwespen/Blattwespenartige/Blattwespen
home

Familie Tenthredinidae Latreille, 1802

                         - Blattwespen

    430 Gattungen, mehr als 7.500 Arten 

    Liste aller Unterfamilien und Triben weltweit 

    Fotos einheimische Arten aus meiner Sammlung 

 

Athalia rosae, Müllberg Möckern, Leipzig, Sachsen, 2002
Athalia rosae
, Müllberg Möckern,
Leipzig, Sachsen 2002, SpW 15 mm
UF Allantinae, Tribus Athaliini

Dolerus nitens
Dolerus nitens , Dübener Heide,
Sachsen,
VI. 1989, SpW 17 mm,
UF Selandriinae, Tribus Dolerini  

Selandra serva
Selandra serva ,  Hachemühle,  Dübener Heide, Sachsen, VII. 1979,
SpW 20 mm,
UF Selandriinae, Tribus
Dolerini
Dolerus niger, Hachemühle, VI. 1989
Dolerus niger , Hachemühle, Sachsen, VI. 1989,  SpW 22 mm,
UF Selandriinae, Tribus Dolerini

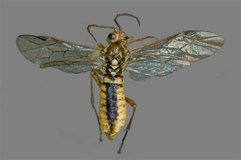
Strongylogaster multifasciata

trongylogaster multifasciata , Hachemühle, IX.1987, SpW 18mm, UF Selandriinae, Strongylogasterini
Macrophya duodecimpunctata, bei Frohburg

Macrophya duodecimpunctata ,
bei Frohburg, Sachsen, V. 1987,
SpW 20 mm, UF Tenthredininae,
Tribus Macrophyini
Eutomostethus luteiventris, Hachemühle, VI. 1989
Eutomostethus luteiventris ,
Hachemühle, Dübener Heide,
VI. 1989, SpW 14 mm,
UF Blennocampinae, Tomostethini

Dolerus nigratus, Hachemühle, V. 1988
Dolerus nigratus , Hachemühle,
Dübener Heide, Sachsen,
V. 1988,
SpW 19 mm, UF Selandriinae Dolerini
Pachyprotasis rapae

Pachyprotasis rapae , bei Frohburg, Sachsen, V. 1987,
SpW 18 mm,
UF Tenthredininae, Macrophyini 
Biotope

UF Allantinae Rohwer, 1911

  Tribus Adamasini: Gattung Adamas

  Tribus Allantini Rohwer, 1911

   Gattungen: Allantus, Allomorpha, Apethymorpha, Apethymus,

   Asiemphytus, Athlophorus, Caiina, Darjilingia, Emphystegia,

   Emphytopsis, Filixungulia, Hemathlophorus, Hemiphytus,

   Indostegia, Jinia, Linomorpha, Macremphytus, Maghrebiella,

   Mimathlophorus, Nagamasaia, Paralinomorpha, Parallantus,

   Parallomorpha, Parasiobla, Probleta,  Pseudolinomorpha,

   Shenia, Stenemphytus, Taxoblenus, Taxonemphytus, Taxonus,

   Thaumatotaxonus, Togashia, Tritobrachia, Yushengliua

 

Tiere

 Tribus Athaliini

   Gattungen: Athalia, Hennedyia, Hennedyella, Hypsathalia 

  Tribus Calirini

  Tribus Empiriini Rohwer, 1911:

    Gattungen: Amatastegia, Aphilodyctium, Empria, Monostegia,

   Monsoma, Phrontosoma

  Tribus Eriocampini

   Gattungen: Dimorphopteryx, Eriocampa, Pseudosiobla 

Tenthredo amoena
Tenthredo amoenaa , Dübener Heide,,VII. 1979, SpW 21 mm,,
UF Tenthredininae, Tenthredini
Tenthredo crassa, Südtirol
Tenthredo crassa ,  Südtirol,,
Italien, 2001, SpW 27 mm,,
UF Tenthredininae,,Tenthredinii
Tenthredo maculata, Hachemühle
Tenthredo maculataa , Dübener Heide, Sachsen, VI. 1979, SpW 28 mm,,
UF Tenthredininae, Tribus Tenthredini  
Tenthredo brevicornisTenthredo brevicornis , Südtirol, Italien, VII. 2001, SpW 20 mm,,
UF Tenthredininae, Tribus TenthrediniUF Tenthredininae, Tribus Tenthredini

Tenthredo campestris
Tenthredo campestris , Saupsdorf, Sachsen, 1986, SpW 32 mm,
UF Tenthredininae, Tribus Tenthredini

Tenthredo dominiquei, Spanien, 1997

Tenthredo dominiquei , Call de Panadella Spanien, 1997, SpW 21 mm,
UF Tenthredininae, Tribus Tenthredini 
Rhogogaster scalaris
Rhogogaster scalaris , bei Frohburg, V. 1987, SpW 17 mm,
UF Tenthredininae, Tenthredini

Tenthredo atra

Tenthredo atra , Dübener Heide, Sachsen VI. 1979, SpW 22 mm, 
UF Tenthredininae, Tribus Tenthredini

Tenthredo mesomela
Tenthredo mesomela , Dübener Heide, V. 2005, SpW 26 mm,
UF Tenthredininae, Tenthredini   
Pflanzen

UF Blennocampinae Konow, 1890

   über 100 Gattungen, mehr als 600 beschriebene Arten 

 Tribus Anisoarthrini

   Gattungen: Beleses, Brykella, Zhuana

 Tribus Blennocampini Rohwer, 1911

   Gattungen: Apareophora, Ardis, Blennocampa, Blennogeneris,

   Cladardis, Claremontia, Eupareophora, Monardis, Monophadnoides,

   Pareophora, Periclista, Sterigmos

  Tribus Lycaotini

   Gattungen: Hoplocampoides, Synaptoneura, Trichotaxonus 

 Tribus Phymatocerini 

   Gattungen: Aphymatocera, Atomostethus, Ceratulus, Eurhadinoceraea,

   Eutomostethus, Monophadnus, Paracharactus, Phymatocera,

   Phymatoceriola, Rhadinoceraea, Stethomostus, Tomostethopsis,

   Zaphymatocera

  Tribus Tomostethini Benson, 1938

   Gattungen: Eutomostethus, Paracharactus, Tomostethus 

Kulturen

UF Heterarthrinae

   Gattungen: Afenella, Anafenusa, Anatoliroa, Bidigitus, Birmella, Birmindia,

   Brasinusa, Cacosyndia, Caliroa, Endelomyia, Fenella, Fenusa, Fenusites,

   Heterarthrus, Hinatara, Messa, Metallus, Nefusa, Neomessa, Neopoppia,

   Notofenusa, Okutanius, Parafenusa, Pama, Poppia, Profenusa, Prolatus,

   Pseudopoppia, Rocalia, Scolioneura, Setabara, Silliana 

 

Tenthredo notha, Hachemühle, IX. 1987
Tenthredo notha, Hachemühle, Dübener Heide, Sachsen, IX. 1987, SpW 20 mm,
UF Tenthredininae, Tribus Tenthredini     
Tenthredo zonula, Hachemühle
Tenthredo zonula , Hachemühle, Dübener H. VI. 1989, SpW 18 mm, UF Tenthredininae, Tribus Tenthredini   
Tenthredo mioceras, Südtirol, Italien, 2001 
TTenthredo mioceras , Südtirol,
Italien, 2001, SpW 21 mm,
UF Tenthredininae, Tenthredini hr
edo mioceras
, Tenthredo notha, Hachemühledtirol,
Tenthredo notha , Hachemühle,  Dübener Heide, Sachsen, VII. 1979,
SpW 18 mm,
UF Tenthredininae, Tribus Tenthredini   
Tenthredo olivacea, Südtirol, Italien, VII. 2001
Tenthredo olivacea , Südtirol,
Italien, VII. 2001, SpW 23 mm,
UF Tenthredininae, Tribus Tenthredini   
Tenthredopsis friesei, Hachemühle, VI. 1989

Tenthredopsis friesei , Hachemühle, VI. 1989, SpW 21 mm,
UF Tenthredininae,
Tribus Tenthredini   
Artensterben

UF Nematinae über 1250 Arten

   Gattungen: Amauronematus, Anoplonyx, Bacconematus,

   Brachycoluma, Caulocampus, Cladius, Craesus, Dineura, Eitelius,

   Endophytus, Epicenematus, Euura, Fagineura, Fallocampus,

   Hemichroa, Larinematus, Melastola, Mesoneura, Micronematus,

   Nematinus, Neopareophora, Pachynematus, Paranematus,

   Phyllocolpa, Pikonema, Platycampus, Polynematus, Pontania,

   Pontopristia, Pristicampus, Pristiphora, Pristola, Pseudodineura,

   Sharliphora, Stauronematus

 

zurück      
zum nächsthöheren Taxon

UF Selandriinae Schmidt & Smith, 2009

 Tribus Adelestini

 Tribus Aneugmenini

   Gattungen: Aneugmenus, Birka, Nesoselandra

 Tribus Dolerini

    Gattungen: Dolerus

 Tribus Heptamelini

   Gattungen: Heptamelus, Pseudoheptamelus

 Tribus Selandriini

   Gattungen: Brachythops, Selandria 

 Tribus Strongylogastrini

   Gattungen: Hemitaxonus, Strombocerina, Strongylogaster  Foto

 

UF Susaninae

   Gattung: Susana

 

Tenthredopsis litterata, Palmela, Portugal, 1998
Tenthredopsis litterata , Palmela Distrito de Setubal, Portugal, 1998, SpW 22 mm,
UF Tenthredininae, Tribus Tenthredini   
Tenthredopsis nassata/scutellaris, Hachemühle
Tenthredopsis nassata/scutellaris , Hachemühle, Dübener Heide, SpW 18 mm
UF Tenthredininae, Tribus Tenthredini   

Tenthredopsis nassata, Hachemühle, VI. 1987 
enthredopsis nassataa ,Hachemühle, Dübener Heide, VI. 1987, SpW 20 mm , UF Tenthredininaee, Tribus Tenthredini    

Sammlung M. Hoffmann im
Naturkundemuseum Leipzig
Tenthredopsis tesselata, Hachemühle, Dübener Heide
Tenthredopsis tesselataa , Hachemühle, Dübener Heide, Sachsen, SpW 21 mmm
UF Tenthredininaee, Tribus Tenthredini    

Determination: Ewald Jansen, Leipzig
Impressum

UF Tenthredininae

   Gattungen: Absentia, Adungia, Aglaostigma, Armitarsus, Beldonea,

   Colochela, Colochelyna, Conaspidia, Corymbas, Cromaphya, Cuneala,

   Deda, Ebba, Elinopsis, Elinora, Eopachylosticta, Filacus, Flagellaria,

   Ischyroceraea, Jakovleviella, Jermakia, Lagidina, Lagium, Leucopelmonus,

   Macrophya, Metallopeus, Murciana, Neocolochelyna, Neocorymbas,

   Nortonella, Pachyprotasis, Peiis, Perineura, Peus, Propodea, Rhogogaster,

   Sciapteryx, Siobla, Stigmatozona, Taeniurites, Tenthredinites, Tenthredo,

   Tenthredopsis, Tyloceridius, Ussurinus, Zaphymatocera, Zaschizonyx

 

 

Copyright © Mathias Hoffmann 2019