Stammbaum Organismen

Taxa   

Bedienungsanleitung

Kollage Heteroptera
Navigation:  Metazoa/Arthropoda/Tracheata/Insecta/Hemiptera/Heteroptera
(in Arbeit)     Vielzeller/Gliederfüsser/............/Insekten/Schnabelkerfe/Wanzen
home TO Cimicomorpha - Bettwanzenähnliche
        17 Familien   etwa 20.000 Arten
Liste: alle Familien und Unterfamilien weltweit

Fam. Anthocoridae - Blumenwanzen
        25 Gattungen, 500 - 600 Arten
Blumenwanze
Blumenwanze, KL ca. 4 mm,
Leipzig-Grosszschocher, 2017
Familie Anthocoridae - Blumenwanzen

B
e
Biotope Fam. Cimicidae Latraille, 1802 - Bettwanzen 
        21 Gattungen, rund 90 Arten
  UF Afrociminae, Gattung: Afrocimex
  UF Afrociminae,
Gattungen:
      
 Bertilla, Cimex, Oeciacus, Paracimex, Propicimex  
  UF Cacodminae,
Gattungen:
          Aphrania, Cacodomus, Crassicimex, Leptocimex,
          Loxaspis, Stricticimex

  UF Haematosiphoninae,
Gattungen:
          Caminicimex, Cimexopsis, Haematosiphon, Hesperocimex,
          Ornithocoris, Psitticimex, Synxenoderus,
Tiere   UF Latrociminae, Gattung: Latrocimex
  UF Primicimicinae, Gattungen: Bucimex, Primicimex   
Fam. Curaliidae

        eine Art;
Curalium cronini Schuh, Weirauch & Henry, 2008
Fam. Joppeicidae
Fam. Lasiochilidae 

        eine Gattung; Lasiochilus
Blindwanze Deraecoris ruber
Blindwanze Deraecoris ruber, KL 7 mm,
Schkeuditz, Auwald, 2017, Familie Miridae
Larve Prostemma guttula
Larve Prostemma guttula, KL ,
Bienitz, 2016, Fam. Nabidae
Pflanzen Fam. Lyctocoridae
        eine Gattung; Lyctocoris 
Fam. Medocostidae
       2 Gattungen 
Fam. Microphysidae 
  UF Microphysinae,
Gattungen:
          Chinaola, Loricula, Mallochiola, Myrmedobia
  UF Ciorullinae; Gattung: Ciorulla
Kulturen Fam. Miridae Hahn, 1831- Blindwanzen
       mehr als 1300 Gattungen   über 10.000 Arten
  UF Bryocorinae; Triben:
      Bryocorini, Diciphini, Eccritotarsini,

  UF Cyclapinae
; Triben: Cyclapini, Fulviini
  UF Deraeocorinae
; Triben:
       Clivinematini, Deraeocorini, Hyaliodini, Termatophylini

  UF Isometopinae
; Triben: Diphlebini, Isometopini
Miris striatus
Blindwanze Miris striatus, KL ca. 9 mm, Bienitz Leipzig-Rückmarsdorf, 2017,
Familie Miridae - Blindwanzen

Raubwanze bewacht Eier, Bedele, Äthiopien
Video Raubwanze bewacht ihre Eier,
Bedele, Äthiopien, 2010,
Familie Reduviidae - Raubwanzen
Nabis mirmicoides
Nabis mirmicoides, KL 7mm,
Familie Nabidae - Sichelwanzen
Artensterben   UF Mirinae; Triben: Herdoniini, Hyalopeplini, Mirini,
       Pithanini, Restheniini, Stenomini

  UF Orthothylinae
; Triben:
     Ceratocapsini, Halticini, Orthotylini

  UF Phylinae
; Triben: Hallodapini, Leucophoropterini,
    Phyllini, Pilophorini
zurück      
zum nächsthöheren Taxon
Fam. Nabidae - Sichelwanzen
      20 Gattungen, über 500 Arten
            z.B.: Gattungen: Nabis, Prostemma
Fam. Pachynomidae

Fam. Plokiophilidae

       6 Gattungen

Fam. Polyctenidae Westwood, 1874
  UF Polycteninae; Gattungen:
          Eoctenes, Polyctenes
  UF Hesperocteninae
; Gattungen:
          Adroctenes, Hypoctenes, Hesperoctenes
Fam. Reduviidae - Raubwanzen
        990 Gattungen   etwa 7000 Arten,
            z.B.: Gattungen: Rhynocoris
Fam. Thaumastocoridae
Raubwanze Nordsulawesi
Raubwanze Nordsulawesi,
bei Tomohon, Indonesien, 2001,
TO Cimicomorpha, Familie Reduviidae
Netzwanze Tingis ampliata
Netzwanze Tingis ampliata, KL 3,8 mm, Familie Tingidae, Tribus Tingini

Sammlung Mathias Hoffmann im
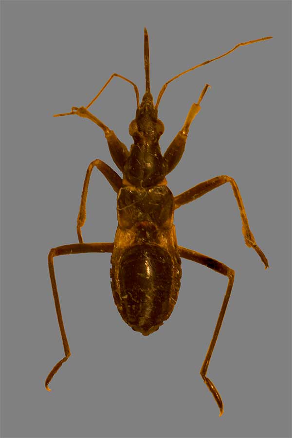
Geringelte Mordwanze Rhynocoris annulatus
Geringelte Mordwanze Rhynocoris annulatus, KL ca. 12 mm, bei Balgstädt
Sachsen-Anhalt, 2015, F
amilie Reduviidae
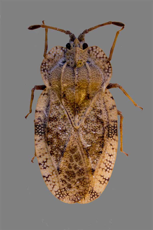
Gitterwanze
Netzwanze , KL 4 mm,
Familie Tingidae, Tribus Tingini
 
Naturkundemuseum Leipzig, Sachsen
Impressum Fam. Tingidae Laporte, 1832 - Netzwanzen
   UF Cantacaderinae Stal, 1873
   UF Tinginae Laporte, 1832
     Tribus Tingini, ca. 250 Gattungen, fast 2400 Arten;
               z.B.: Gattungen: Tingis, Acalypta,Dictyla, Copium 
   UF Vianaidinae Kormilev, 1955


Fam. Velocipedidae
       2 Gattungen 

Copyright © Mathias Hoffmann 2018