Stammbaum des Lebens

Taxa

Bedienungsanleitung

Kollage Organismen
Navigation: Insecta/Coleoptera/Adephaga/Carabidae/Trechinae
                   Insekten/Käfer/Fleischfresser/Laufkäfer/
home

UF Trechinae Bonelli, 1810

     alle Gattungen (Welt)    Bilder: einheimische Arten

 

Tribus Bembidini Stephens, 1827

   Subtribe Anillina Jeannel, 1937

   59 Gattungen:

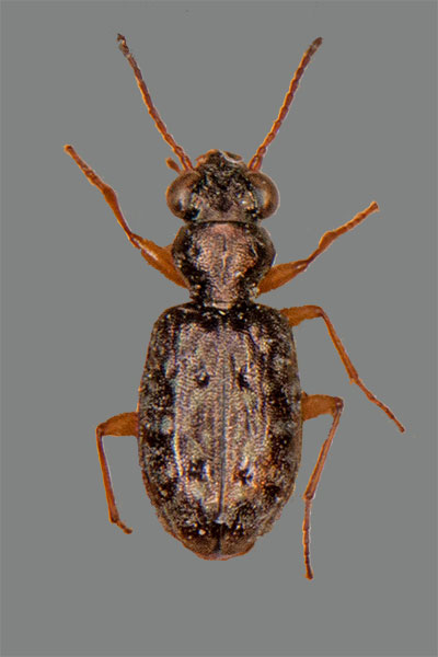
Gelbfüßiger Haarahlenläufer
Gelbfüßiger Haarahlenläufer Asaphidion flavipes KL4,5mm Bembidiina, Bembidini
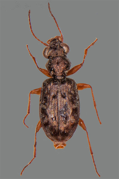
Haarahlenläufer Asaphideon spec.
Haarahlenläufer Asaphideon spec., KL 4,5 mm
Bembidiina, Bembidini
Ahlenläufer Bembidion lampros
Ahlenläufer Bembidion lampros, KL 4 mm,
Bembidiina, Bembidini
Biotope

   Anillius, Anillodes, Anillopsidius, Anillopsis, Anillotarsus,

   Anillus, Argiloborus, Austranillus, Bafutyphlus, Binaghites,

   Caecoparvus, Carayonites, Corcyranillus, Cryptocharidius,

   Cryptorites, Dicropterus, Elgonotyphlus, Geocharidius,

   Geocharis, Honduranillus, Hygranillus,Hypotyphlus,Iason,

   Iberanillus, Illaphanus, Leleupanillus, Microdipnides,

Tiere

   Microdipnodes, Microdipnus, Microtyphlus, Mystroceridius,

   Neotyphlus, Nesamblyops, Nothanillus, Paranillopsis,

   Paranillus, Parvocaecus, Pelocharis, Pelodiaetodes,

   Pelodiaetus, Pelonomites, Perucharidius, Prioniomus,

   Pseudanillus, Rhegmatobius, Scotodipnus, Seranillus,

   Stylulus, Tasmanillus, Turkanillus, Typhlocharis,

   Typhlonesiotes, Winklerites, Zapotecanillus, Zeanillus,

   Zoianillus

   

Feld-Ahlenlaeufer Bembidion properans
Feld-Ahlenläufer Bembidion properans, KL 4 mm,
Bembidiina, Bembidini
Gewöhnlicher Ufer-Ahlenläufer
Gewöhnlicher Ufer-Ahlenläufer
Bembidion tetracolum KL 6mm
Bembidiina, Bembidini
Veränderlicher Ahlenläufer
Veränderlicher Ahlenläufer
Bembidium varium, KL 4mm
Bembidiina, Bembidini
Pflanzen

Subtribe Bembidiina Stephens, 1827

   Gattungen:

   Amerizus, Asaphideon, Bembidarenas, Bembidion, Caecidium,

   Cillenus, Ocys, Orzolina, Phrypeus, Sakagutia, Sinechostictus

 

Kulturen

 Subtribe Horologionina Jeannel, 1949

    Gattungen:

    Horologion 

 

Ahlenläufer Bembidion femoratum
Ahlenläufer Bembidion femoratum, KL 4,5 mm
Bembidiina, Bembidini

Vierfleck-Ahlenläufer
Vierfleck-Ahlenläufer Bembidion quadrimaculatum, KL3mm Bembidiina, Bembidini
Gegliederter Ahlenläufer
Gegliederter Ahlenläufer B. articulatum, KL 3mm,
Bembidiina, Bembidini
Artensterben

Subtribe Lovriciina Giachino, Gueorguiev & Vailati, 2011

   Gattungen:

    Lovricia, Neolovricia, Paralovricia,

 

zurück      
zum nächsthöheren Taxon

   Subtribe Tachyina Motschulsky, 1862

    Gattungen:

    Afrotachys, Andinodontis, Anomotachys, Argentinatachoides,

    Costitachys, Elaphropus, Kiwitachys, Liotachys, Lymnastis,

    Meotachys, Micratopus, Pericompsus, Porotachys, Straneoites,

    Tachys, Tachysbembix, Tachyta, Tarsitachys

 

Bembidion minimum
Bembidion minimum,
KL 3mm, Bembidiina, Bembidini


Sammlung M. Hoffmann
Bembidion ustulatum
Bembidion ustulatum KL5,5mm
Bembidiina Bembidini

Naturkundemuseum Leipzig
Gezähnter Ahlenläufer
Gezähnter Ahlenläufer B. dentellum, KL 6 mm
Bembidiina, Bembidini

Stadt Leipzig, Sachsen
Impressum

  Subtribe Xystosomina

    Gattungen:

   Erwiniana, Geballusa, Gouleta, Inpa, Mioptachys, Moirainpa,

   Philipis, Xystasomus

 

Copyright © Mathias Hoffmann 2015