Stammbaum des Lebens

Taxa

Bedienungsanleitung

Kollage Organismen
Navigation: Insecta/Coleoptera/Adephaga/Carabidae/Lebiinae
                  Insekten/Käfer/Fleischfresser/Laufkäfer/
home

UF Lebiinae Bonelli, 1810

     alle Gattungen (Welt)        Bilder: einheimische Arten

 

Tribus Cyclosomini Laporte, 1834

    Subtribe Corsyrina Ganglbauer, 1891

     Gattungen: Corsyra, Discoptera

 

   Subtribe Cyclosomina Laporte, 1834

     Gattungen: Cyclosomus, Sarothrocepis, Tetragonoderus

 

   Subtribe Graphipterina Latreille, 1802

     Gattungen: Graphipterus, Piezia, Trichopiezia

  

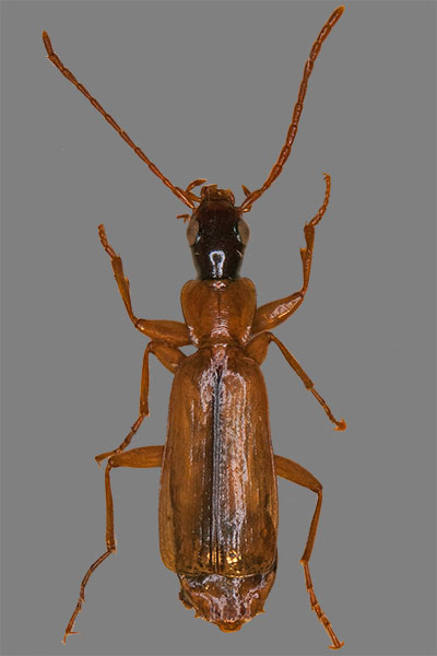
Halmläufer Demetrias spec.
Halmläufer Demetrias spec.,
KL 5 mm, Tribus Lebiini
Halmläufer Demetrias atricollis
Halmläufer Demetrias atricollis,
KL 4 mm, Tribus Lebiini
Halmläufer Demetrias spec.
Halmläufer Demetrias spec.,
KL 5 mm, Tribus Lebiini



Biotope

   Subtribe Masoreina Chaudoir, 1870

     Gattungen: Anaulacus, Atlantomasoreus, Australomasoreus 

     Leuropus, Lophidius, Masoreus, Mnuphorus, Odontomasoreus,

     Somaplatodes, Somoplatus

 

Tribus Lebiini Bonelli, 1810

   Subtribe Actenonycina Bates, 1871

     Gattung Actenonyx

 

   Subtribe Agatoides Motschulsky, 1856

 

    Subtribe Agrina Kirby, 1837

     Gattungen: Abrodiella, Agra, Allardina, Amelus, Cryptobatis,

     Cteatus, Cylindronotum, Hyboptera, Hybopteroides, Infernophilus,

Tiere

     Oechalius, Onota, Otoglassa, Phacocerus, Pseudotoglossa, 

     Pylartesius, Straneotia, Tecnophilus, Thoasia, Valeriaaschero,

     Vianasia

 

    Subtribe Apenina C.E.Ball, 1982

      Gattungen: Apenes, Cymindoidea, Habutarus, Platyarus,

     Trymosternus 

 

   Subtribe Calleidina Csiki, 1932

      Gattungen: Anomotariella, Anomotarus, Apterodromites,

      Calleida, Calleidomorpha, Callidadelpha, Chaudoirina, Cyanotarus,

      Demetrida, Dromidea, Epikastea, Eujalmenus, Falsodromius,

      Glycia, Lipostratia, Merizomena, Mimodromius, Mimophilorhizus,

      Paraglycia, Philophuga, Plochionus, Pontonoa, Pseudocalleida,

      Speotarus, Teiresia, Titaresius, Trigonothops

 

    Subtribe Celaenephina Habu, 2011

      Gattungen: Celanephes

 

    Subtribe Cymindiina Laporte, 1834

      Gattungen: Afrotarus, Assadecma, Cymindis, Cymindoides,

      Hystrichopus, Leptosarcus, Metaxymorphus, Petrimagnia,

      Plagiopyga, Pseudomasoreus, Taridius,

Rindenkäufer Calodromius spilotus
Rindenkäufer Calodromius spilotus, KL 4,5 mm
Schwarzrandiger Rindenläufer Dromius schneideri
Schwarzrandiger Rindenläufer Dromius schneideri, KL 6 mm






Pflanzen

 

   Subtribe Demetriadina Bates, 1886

      Gattungen: Cylindrocranius, Demetrias,

 

   Subtribe Dromiusina Bonelli, 1810   

     Gattungen: Afrodromius, Astastus, Axionopalpus, Barrymooreana,

     Brachynopterus, Brigalowia, Calodromius, Carbonellia, Dromiops,

     Dromius, Dromoceryx, Geoffreyella, Klepteromimus, Mesolestes,

Kulturen

     Metadromius, Microdaccus, Microlestes, Microlestodes, Monnea,

     Negrea, Omophagus, Oxoides, Paradromius, Philorhizus, Polyaulacus,

     Psammodromius, Pseudomonnea, Somalodromius, Xanthomelina,

     Xenodromius, Zolotarevskyella

 

    Subtribe Gallerucidiina Chaudoir, 1872

      Gattungen: Gallerucida, Lebidia, Miolebidia 

 

    Subtribe Lebiina Bonelli, 1810

      Gattungen: Alkestis, Aristolebia, Aspasiola, Daer,  Lachnolebia, Lebia,

     Lebidema, Lebiomorphica, Lebistina, Lebistinida, Lionedya, Matabela,

     Megalebia, Orthobasis, Pachylebia, Pachylebiodes, Paulianolebia,

     Pseudopachylebia, Ropalostyla, Scalidion. Setolebia, Sofota,

 

    Subtribe Lichnasthenia J. Thomson, 1859

      Gattungen: Australovelinda, Lichnasthenus, Mimovelindopsis, Velinda,

     Velindastus, Velindomimus, Velindopsis

 

    Subtribe Lionychina Jeannel, 1948

      Gattungen: Apristomimus, Apristus, Eremolestes, Lionychus, Lorestania,

     Metablus, Omobrus, Singiliomimus, Syntomus, Tlius, Trichidema

Rindenläufer Dromius fenestratus
Rindenläufer Dromius fenestratus, KL 6 mm
Vierfleck-Rindenläufer Dromius quadrimaculatus
Vierfleck-Rindenläufer Dromius quadrimaculatus, KL 5,5 mm
Rindenläufer Dromius longiceps
Rindenläufer Dromius longiceps, KL 6 mm,

Prunkläufer Lebia cyanocephala
Prunkläufer Lebia cyanocephala,
KL 6,5 mm,





Artensterben

    Subtribe Metallicina Basilewsky, 1984

      Gattungen: Euproctinus, Metallica, Pachycallida, Parena 

 

    Subtribe Nemotarsina Bates, 1883

      Gattung Nemotarsus 

 

    Subtribe Peliocypadina Basilewsky, 1984

      Gattungen: Demetriola, Peliocypas 

 

    Subtribe Pericalina Hope, 1838

      Gattungen: Agonocheila, Allophanes, Allophanopsis, Amblops,

     Amphimenes, Antimerina, Arsinoe, Auchmerus, Brachichila, Brachyctis,

     Catascopellus, Catascopus, Cheilagona, Coptodera, Coptoglossus,

     Coptoptera, Coptopterella, Coptopterina, Crassagena, Cylindropectus,

     Dolichoctis, Dontolobus, Drymatus, Eucheila, Eurycoleus, Eurydera,

     Formosiella, Gidda, Glyphodactyla, Gnopheroides, Holcoderus,

     Horniulus, Labocephalus, Lelis, Lioptera, Lobodontidius,

     Lobodontulus, Lobodontus, Madecassina, Mascarenhia, Menarus,

     Metascopus, Minuphloeus, Minuthodes, Miscelus, Mochtheroides,

     Mochtherus, Mormolyce, Mormolycina, Neocoptodera, Nycteis,

     Oreodicastes, Oxyodontus, Paradolichoctis, Pareurydera, Pectinitarsus,

     Pericalus, Peripristus, Philophlaeus, Phloeoxena, Praepristus,

     Pristacrus, Pseudomenarus, Pseudoplatia, Serrimargo, Sfitakantha,

     Sinurus, Stenognathus, Stenotelus, Stilboma, Stricklandiana,

     Tantillus, Thyreochaetus, Thyreopterus, Thysanotus, Trichocoptodera,

     Xenitenopsis, Xenitenus

 

zurück      
zum nächsthöheren Taxon

    Subtribe Physoderina Chaudoir, 1877

      Gattungen: Allocota, Anchista, Dasiosoma, Diamella, Endynomena,

     Lachnoderma, Metallanchista, Orionella, Paraphaea, Physodera 

 

    Subtribe Pseudotrechinna Basilewsky, 1984

      Gattung Pseudotrechus 

 

    Subtribe Singilina Jeannel, 1948

      Gattung Singilis 

 

    Subtribe Somotrichina Mateu, 1963

      Gattungen: Oecornis, Paulianites, Pephrica, Somotrichus 

 

    Subtribe Sugimotoina Habu, 1975

      Gattung Sugimotoa 

 

    Subtribe Trichina Basilewsky, 1984

      Gattung Trichis 

Zwergstreuläufer Syntomus voveolatus
Zwergstreuläufer Syntomus voveolatus, KL3 mm


Sumpf-Halsläufer Odacantha melanura
Sumpf-Halsläufer Odacantha melanura, KL 7 mm,
Tribus Odacanthini




Sammlung M. Hoffmann





































Naturkundemuseum Leipzig




































Stadt Leipzig, Sachsen
Impressum

Tribus Odacanthini Laporte, 1834

   Subtribe Calophaenina Jeannel, 1942

     Gattungen: Calophaena, Calophaenoida

 

    Subtribe Lachnophorina LeConte, 1853

     Gattungen: Aeolodermus, Amphithasus, Anchonoderus, Aporesthus,

     Asklepia, Calybe, Diplacanthogaster, Eucaerus, Euphorticus, 

     Graundmannius, Guatemalteca, Homethes, Lachnophorus,

     Peruphorticus, Pseudophorticus, Quammenis, Selina,

     Stenocheila 

 

    Odacanthina sensu stricto

     Gattungen: Anasis, Andrewesia, Arame, Archicolliuris, Asios,

     Aulacolius, Basistichus, Clarencia, Colliuris, Cosnania, Crassacantha,

     Cryptocolliuris, Deipyrodes, Dicraspeda, Dobodura, Erectocolliuris,

     Eucolliuris, Eudalia, Gestroania, Giachinoana, Lachnothorax,

     Lasiocera, Mimocolliuris, Myrmecodemus, Neoeudalia,

     Odacantha, Ophionea, Polydamasium, Porocara, Protocolliuris,

     Renneria, Smeringocera, Stenidia, Tricharnhemia 

 

Tribus Pentagonicini Bates, 1873

    Gattungen: Parascopodes, Pentagonica, Scopodes

 

Tribus Perigonini C.H.Horn, 1881

      Gattungen: Diploharpus, Mizotrechus, Perigona, Ripogenites

Copyright © Mathias Hoffmann 2015