Stammbaum des Lebens

Taxa

Bedienungsanleitung

Kollage Organismen
Navigation: Insecta/Coleoptera/Adephaga/Carabidae/Carabinae
                    Insekten/Käfer/Fleischfresser/Laufkäfer
home

UF Carabinae Latreille, 1802

In dieser Unterfamilie ist die Verwendung von Untergattungen gebräuchlich.

 

      mehr als 1500 Arten       Bilder: europäische Arten

 

Tribus Carabini Latreille, 1802

   Carabina sensu stricto

Calosoma maderae ssp. auropunctatum
Larve Goldpunktpuppenräuber Calosoma (Campalita) auropunctatum, KL 24 mm
Puppenräuber
Puppenräuber
Calosoma (Campalita) maderae, KL 26 mm
Puppenräuber
Puppenräuber
Calosoma spec.,
KL 18 mm
Biotope

      Aplothorax Waterhouse, 1841

      eine Art: Aplothorax burchelli 

 

     Calosoma Weber, 1801

        167 Arten, Untergattungen:

        Blaptosoma, Callisphaena, Callisstenia, Callisthenes, Callitropa,

Tiere

       Calopachys, Calosoma sensu stricto, Campalita, Carabomimus,

       Carabomorphus, Carabophanus, Carabops, Carabosoma, Castrida,

       Charmosta, Chrysostigma, Ctenosta, Elgonorites, Microcallisthenes,

       Neocalosoma, Orinodromus, Teratexis  

 

     Carabus Linne, 1758

        mehr als 900 Arten, Untergattungen: 

        Acathaicus, Acoptolabrus, Acrocarabus, Alipaster, Apoplesius,

       Apotomopterus, Archicarabus, Aristocarabus, Aulonocarabus,      

       Axinocarabus, Calocarabus, Carabus sensu stricto, Cathaicus,

       Cathoplius, Cechenochilus,  Cechenotribax, Cephalornis,

       Chaetocarabus, Chrysocarabus, Coptolabrodes, Coptolabrus,

       Cratocarabus, Cratochenus, Cratocephalus, Cratophyrtus,

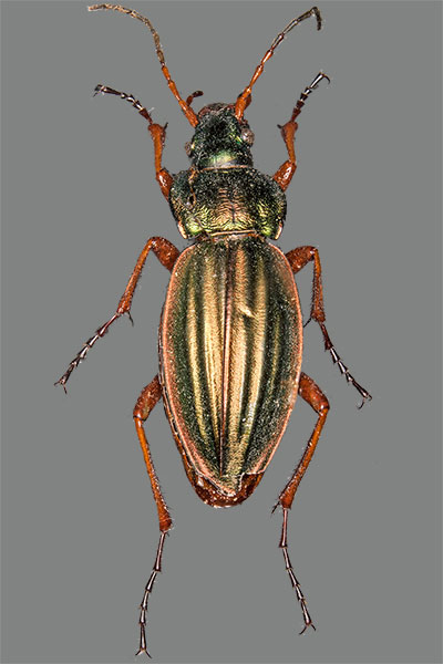
Goldschmied Carabus auratus
Goldschmied Carabus
(Tachypus) auratus
,
KL 25 mm,
Goldglänzender Laufkäfer
Goldglänzender Laufkäfer
Carabus (Chrysocarabus) auronitens,
KL 27 mm
Carabus violaceus
Goldleiste Carabus (Megodontus) violaceus,
KL 25 mm
Pflanzen

       Crvptocarabus, Cryptocechenus, Ctenocarabus, Cupreocarabus,

       Cychrostomus, Cyclocarabus, Damaster, Deroplectes, Diocarabus,

       Eccoptolabrus, Eocechenus, Eotribax, Eucarabus, Euleptocarabus,

       Eupachys, Eurycarabus, Fulgenticarabus, Gnathocarabus,

Kulturen

       Goniocarabus, Hemicarabus, Heterocaraus, Homoeocarabus,

       Hygrocarabus, Imaibius, Iniopachus, Ischnocarabus, Isiocarabus,

       Lamprostus, Lasiocoptolabrus, Leptocarabus, Leptoplesius,

       Limnocarabus, Lipaster, Macrothorax, Meganebrius, Megodontoides,

       Megodontus, Mesocarabus, Microplectes, Mimocarabus,

       Morphocarabus, Neoplectes, Nesaeocarabus, Ohomopterus,

       Ophoicarabus, Oreocarabus, Orinocarabus, Oxycarabus,

       Pachycarabus, Pachystus, Pagocarabus, Pantophyrtus, Platycarabus,

       Procerus, Procrustes, Pseudocoptolabrus, Pseudocranion,

Glatter Laufkäfer
Glatter Laufkäfer
Carabus glabratus
,
KL 25 mm

Gartenlaufkäfer Carabus hortensis
Gartenlaufkäfer Carabus (Pachystus) hortensis,
KL 26 mm
Körnerwarze Carabus cancellatus
Körnerwarze  Carabus (Tachypus) cancellatus,
KL 23 mm
Artensterben

       Pseudotribax, Relictocarabus, Rhigocarabus, Scambocarabus,

       Semnocarabus, Shenocoptolabrus, Shunichiocarabus,

       Sphodristocarabus, Stephanocarabus, Tachypus, Tanaocarabus,

       Teratocarabus, Tomocarabus, Trachycarabus, Tribax, Ulocarabus

 

zurück      
zum nächsthöheren Taxon

   Ceroglossina Lapouge, 1927

      Ceroglossus Solier, 1848;  8 Arten

      Neothanes  Scudder, 1890

 

 

Tribus Cychrini Laporte, 1834

    Cychrina sensu stricto

      Cychrus Fabricius, 1794;  128 Arten

 

Hainlaufkäfer Carabus nemoralis
Hainlaufkäfer
Carabus nemoralis,
KL 22 mm
Linne´s Laufkäfer Carabus linnei
Linne´s Laufkäfer Carabus (Orinocarabus) linnei,
KL 16 mm

Sammlung Mathias Hoffmann
Gekörnter Laufkäfer Carabus granulatus
Gekörnter Laufkäfer
Carabus (Carabus) granulatus,KL 18 mm
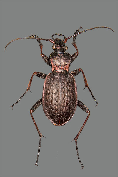
Lederlaufkäfer Carabus coriaceus
Lederlaufkäfer Carabus (Procrustes) coriaceus,
KL 35 mm

Naturkundemuseum Leipzig
Konvexer Laufkäfer Carabus convexus
Konvexer Laufkäfer Carabus (Tomocarabus) convexus,
KL 18 mm
Gewöhnlicher Schaufelkäfer
Gewöhnlicher Schaufelkäfer
Cychrus caraboides, KL 19 mm


Stadt Leipzig, Sachsen
Impressum

       Scaphinotus Dejean, 1826;  51 Arten

       Sphaeroderus Dejean, 1831;  5 Arten

 

 

   Pamborina Hope, 1838

      Maoripamborus Brookes, 1944;  1 Art;  M. fairbumi

      Pamborus Latreille, 1817;  17 Arten

 

 

Copyright © Mathias Hoffmann 2014