Stammbaum des Lebens

Taxa

Kollage Organismen
Navigation: Arthropoda/Tracheata/Insecta/Coleoptera/Polyphaga/Staphyliniformia
 (in Arbeit)   Gliederfüsser/............/Insekten/Käfer/...................../Kurzflüglerartige
home

Series Staphyliniformia

                                    - Kurzflüglerartige

 

ÜF Hydrophiloidea Latreille, 1802

   Familie Epimetopidae: 3 Gattungen

  

   F. Georryssidae Laporte, 1819 Uferschlammkäfer 

         Gattung Georissus: 75 Arten  

Furchenwasserkäfer Helophorus aquaticus
Furchenwasserkäfer Helophorus
aquaticus
, KL 3,5mm, Hydraenidae
 

Larve Kolbenwasserkäfer
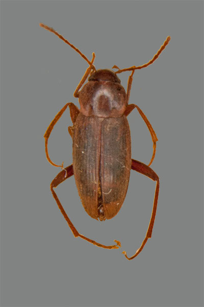
Larve Großer Kolbenwasserkäfer Hydrous piceus, Familie Hydrophilidae
Großer Kolbenwasserkäfer
Großer Kolbenwasserkäfer
Hydrous piceus,

Familie Hydrophilidae

Rippenwasserkäfer Hydrochus elongatus 
Rippenwasserkäfer Hydrochus elongatus, KL 3,4mm
Familie Hydrochidae

Biotope

   Fam. Helophoridae Leach, 1815

        ca. 180 Arten, z.B.: Helophorus aquaticus  Foto

   Fam. Hydrochidae C. G. Thomson, 1859

       29 Gattungen, 285 Arten, z.B.: Hydrochus elongatus  Foto  

   Fam. Hydrophilidae - Wasserkäfer

    UF Acidocerinae: 21 Gattungen

    UF Chaetarthriinae: 2 Triben,16 Gattungen  

     UF Cyclominae Zaitzev, 1908: 18 Gattungen

     UF Enochrinae Short & Fikacek, 2013: 5 Gattungen

     UF Hydrophilinae Latreille, 1802:

          5 Triben, 61 Gattungen, 1852 Arten,

         z.B.: Hydrous piceus  (Großer Kolbenwasserkäfer)  Foto

     UF Sphaeridiinae: 5 Triben, z.B.: Gattung Sphaeridium

Tiere

  Familie. Spercheidae Erichson, 1827:

          eine Gattung: Spercheus

  Fam. Sphaeritidae Shuckard, 1839

          Gattung: Sphaerites: 5 Arten  

        

ÜF Histeroidea Gyllenhal, 1808

   Fam. Histeridae Gyllenhal, 1808 Stutzkäfer

          11 Unterfamilien, 330 Gattungen, ca. 3.900 Arten   Foto

  F. Sphaeritidae Shuckard, 1839 Scheinstutzkäfer

           eine Gattung, 4 Arten 

   Fam. Syntellidae  Lewis, 1882:

    UF Syntellaeine: eine Gattung, 7 Arten

 

Sphaeridium scarabaeoides
Sphaeridium scarabaeoides,

Stutzkäfer
Stutzkäfer,
Familie Histeridae
e


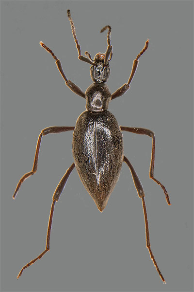
Langbeinnestkäfer
Langbeinnestkäfer Choleva spec., KL 5 mm, F. Leiodidae,
UF Cholevinae
 
L
e
Pflanzen

ÜF Staphylinoidea

   Fam. Agyrtidae Thomson, 1859 - Scheinaaskäfer

          ca. 60 Arten  

    UF Agyrtinae C.G.Thomson, 1859, 4 Gattungen 

     UF Necrophilnae Newton. 1997: 2 Gattungen  

     UF Pterolomatinae C.G.Thomson, 1862

          2 Gattungen 

   F. Hydraenidae Mulsant, 1844  Langtasterwasserkäfer

          44 Gattungen, mehr als 1.300 Arten  

    UF Hydraeninae Mulsant, 1844   Foto

    UF Ochthebiinae, C.G.Thomson, 1862

    UF Orchymontiiinae Perkins, 1997 

    UF Prosthetopinae Perkins, 1994  

   Fam. Leiodidae Fleming, 1821 Schwammkugelkäfer 

        rund 3.800 Arten

    UF Camiarinae Jeannel, 1911: 28 Gattungen

     UF Catopocerinae Hatch, 1927: 4 Gattungen

     UF Cholevinae Kierby,1827 Nestkäfer  Foto

     UF Coloninae Horn, 1880 - Kolonistenkäfer

    UF Leiodinae Fleming, 1821 

    UF Platypsyllinae Ritsema, 1869 - Pelzflohkäfer 

Kulturen

   Fam. Ptillidae Erichson, 1845 - Zwergkäfer

     UF Acrotrichinae Reitter, 1909

     UF Cephaloplectinae Sharp, 1883

     UF Nanosellinae Barber, 1924

     UF Ptiliinae Erichson, 1845 - Zwergkäfer s.s.

  Familie Silphidae Latreille, 1807 - Aaskäfer

     UF Nicrophoridae Kirby, 1837

     UF Silphinae Latreille, 1807




Mastigus scydmaenidus
Mastigus scydmaenidus
a

L
e

Vierfelckiger Kahnkäfer Scaphidium quadrimaculatum
Vierfelckiger Kahnkäfer Scaphidium quadrimaculatum,
KL 5 mm, Fam. Scaphidiidae
Artensterben

  F. Staphylinidae Lameere, 1900 - Kurzflügler

       32 Unterfamilien, ca. 63.000 Arten 

    UF Aleocharinae Fleming, 1821: über 12.000 Arten

    UF Apateticinae Fauvel, 1895: 2 Gattuneg

    UF Dasycerinae Reitter, 1887 - Moosschimmelkäfer    

    UF Empelidae Newton & Thayer, 1992

     UF Euaesthetinae Thomson, 1859:  6 Triben

     UF Glypholomatinae Jeannel, 1962:  2 Gattungen

     UF Habrocerinae Mulsant & Rey, 1876: 2 Gtg.

     UF Leptotyphlinae Fauvel, 1874: 6 Triben

     UF Megalopsidiinae Leng,1920 

     UF Micropeplinae Leach, 1815 Rippenkäfer: 6 Gattungen 

zurück      
zum nächsthöheren Taxon

    UF Microsilphinae Crowson, 1950

     UF Neophoninae Fauvel, 1905

     UF Olisthaerus Dejean, 1833

     UF Omaliinae MacLeay, 1825: 7 Triben

     UF Osoriinae Erichson, 1839: 4 Triben

     UF Oxyporinae Fleming, 1821

     UF Oxytelinae Fleming, 1821: 8 Triben 

     UF Paederinae Fleming, 1821: 4 Triben 

     UF Phloeocharinae Erichson, 1839: 7 Gattungen

     UF Piestinae Erichson, 1839: 7 Gattungen

     UF Proteininae Erichson, 1839: 5 Triben 

     UF Protopseaphinae Newton & Thayer, 1995

Aaskäfer
Totengräber Necrophorus spec., Möhritzsch, Sachsen-Anhalt,
Familie Silphidae

Sammlung Mathias Hoffmann,
Naturkundemuseum Leipzig
tadt Leipzig, Sachsen
Nairoby-Fly
Nairoby-Fly, Paederus spec., ex Chidda, Äthiopien, 2010,
Familie Staphylinidae


S
n
Impressum

     UF Pselaphinae - Palpenkäfer

     UF Pseudopsinae Ganglbauer, 1895

     UF Scaphidiinae Latreille, 1807 - Kahnkäfer   

     UF Scydmaenidae Leach, 1815 - Ameisenkäfer

     UF Solieriinae Newton & Thayer, 1995

     UF Staphylininae Latreille, 1802 - Kurzflügler s.s.

     UF Steninae MacLeay, 1825: 3 Gattungen

     UF Tachyporinae MacLeay, 1825: 5 Triben

     UF Trigonurinae Reiche, 1865

     UF Trichophyinae Thomson, 1858  

 

Systematik nach: Rolf G. Beutel, Richard A.B. Leschen: Hndbuch der Zoologie - Coleoptera, Beetles, Volume 1: Morphology and Systematics (Archostemata, Adephaga, Myxophaga, Polyphaga partim). 1. Auflage. de Gruyter, 2005

Copyright © Mathias Hoffmann 2019