Stammbaum des Lebens

Taxa

Kollage Organismen
Navigation: Arthropoda/Tracheata/Insecta/Coleoptera/Polyphaga/Staphyliniformia/Silphidae
                     Gliederfüsser/............/Insekten/Käfer/...................../Kurzflüglerartige/Aaskäfer
home

Familie Silphidae Latreille, 1807

                             - Aaskäfer


Schwarzer Totengräber
Schwarzer Totengräber
N. humator, KL 26 mm
Totengräber Necrophorus vestigator
Totengräber Necrophorus vestigator, KL 16 mm
Totengräber Necrophorus 
Totengräber Necrophorus vespilloides, KL 13 mm
Biotope

UF Nicrophorinae Kirby, 1837  - Totengräber 

      68 Arten

     Nicrophorini

    Gattungen:

    Eonecrophorus Kurosawa, 1985:  eine Art

    Nicrophorus Fabricius, 1775 (Necrophorus)

     64 Arten, z.B.: N. humator, N. vespillo, N. vestigator,

      N. vespilloides

    Ptomascopus Kraatz, 1876: 3 Arten 

 

Tiere

UF Silphinae Kirby (1837) - Aaskäfer  

      Arten

    Gattungen: 

   (Ablattaria)

   Aclypea Reitter, 1885: 13 Arten

   (Blitophaga) z.B.: B. opaca

   Denroxena Motschulsky, 1858: 2 Arten

   Diamesus Hope, 1840:  2 Arten

 

 

Totengräber Necrophorus vespillo
Totengräber Necrophorus
vespillo
, KL 18 mm
Ufer-Aaskäfer Necrodes littoralis
Ufer-Aaskäfer Necrodes littoralis, KL 15 mm
Totenfreund Thanatophilus 
Totenfreund Thanatophilus
rugosus
, KL 10 mm
Pflanzen    Heterosilpha Portevin, 1926:  2 Arten
   Necrodes Leach, 1815:

    3 Arten
, z.B.:
N. littoralis
    
Kulturen

   Necrophila Kirby & Spence, 1828

   19 Arten, Untergattungen:

   Calosilpha, Chrysosilpha, Deutosilpha, Eusilpha,

   Necrophila

Schwarzer Schneckenjäger
Schwarzer Schneckenjäger Phosphuga atrata, KL 11 mm
Goldfarbener Rübenaaskäfer
Goldfarbener Rübenaaskäfer Blitophaga opaca, KL 10 mm
Gerippter Totenfreund
Gerippter Totenfreund
Thanatophilus sinuatus, KL 9 mm
Artensterben

   Oiceoptoma Leach, 1815:
     9 Arten
, z.B.:
O. thoracarium

   Oxelytrum Gistl, 1848:  9 Arten

   Phosphuga Leach, 1817:  eine Art: P. atrata

  

zurück      
zum nächsthöheren Taxon

   Ptomaphila Kirby & Spence, 1828: 3 Arten 

   Silpha Linnaeus, 1758: 21 Arten: z.B.:

   Thanatophilus Leach, 1815: 20 Arten: z.B.: Th. sinuatus

  

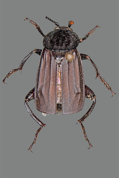
Vierpunktiger Raupenjäger
Vierpunktiger Raupenjäger Xylodrepa quadripunctaria

Sammlung Mathias Hoffmann,

Schwarzer Schneckenjäger
Schwarzer Schneckenjäger  Phosphuga atrata, KL 12 mm

Naturkundemuseum Leipzig
Rothalsige Silphe
Rothalsige Silphe Oiceoptoma thoracarium, KL 14 mm

Stadt Leipzig, Sachsen
Impressum

   (Xylodrepa): X. quadripunctaria

 

Vierpunktiger Raupenjäger

Vierpunktiger Raupenjäger Xylodrepa quadripunctata, Halle, 2013,

Copyright © Mathias Hoffmann 2014