Stammbaum des Lebens

Taxa

Kollage Organismen
Navigation: Insecta/Coleoptera/Polyphaga/Cucujiformia/Chrysomeloidea/Chrysomelidae
                   Insekten/Käfer/............./Plattkäferartige/Blattkäferähnliche/Blattkäfer
home

UF Galerucinae

     mehr als 500 Gattungen, etwa 5800 (10.000) Arten

 

Tribus Alticini Spinola, 1844  Erdflohkäfer

    einige einheimische Gattungen:

Erdflohkäfer Crepidodera aurata
Erdflohkäfer Crepidodera aurata, KL 2,5 mm,
Crepidodera fulvicornis
Crepidodera fulvicornis,
KL 1,5 mm
Neocrepidodera transversa
Neocrepidodera transversa,
KL 2,5 mm,
Biotope

    Batophila, Chaetocnema, Crepidodera, Haltica, Hippuriphila,

    Lythraria, Longitarsus, Neocrepidodera, Phyllotreta,

 

 

Tiere

Tribus Galerucini Latreille, 1802

    Gattungen:

    Brucita, Coraia, Derospidea, Diorhabda, Erynephala, Galeruca,

    Galerucella, Lochmea, Malacorhinus, Miraces,

    Monocesta, Monoxia,

    Neogallerucella, Neolochmea, Ophreae, Ophraella, Pyrrhalta,

    Tricholochmaea, Trirhabda, Xanthogaleruca

 

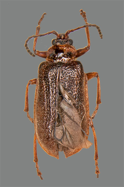
Galeruca pomonae
Galeruca pomonae, KL 9 mm,
Tribus Galerucini
Galerucella nymphaeae
Galerucella nymphaeae,
KL 5 mm,
Braungelber Weidenblattkäfer
Braungelber Weidenblattkäfer
Lochmaea capreae, KL 6 mm
Pflanzen

Tribus Hylaspini Chapuis, 1875

    Gattungen:

  

Kulturen

Tribus Luperini Chapuis, 1875

  Subtribus Diabriticina

     einige Gattungen: 

    Acalymna, Aristabrotica, Aulacophora, Calomicrus

    Cerotoma, Diabrotica, Eccoptopsis, Euluperus,

    Exosoma, Gynandrobrotica,

    Isotes, Leptomona, Luperosoma, Luperus, Neobrotica,

    Nymphius, Oreotes, Paranapiacaba, Paratriarius,

    Platymorpha, Phyllobrotica, Trachyscelida, Trichobrotica,

    

Calomicrus circumfusus
Calomicrus circumfusus,
KL 2 mm, Tribus Luperini

Calomicrus pinicola
Calomicrus pinicola, KL 3 mm,
Tribus Luperini, Diabriticina
Schwarzer Weidenblattkäfer Luperus luperus
Schwarzer Weidenblattkäfer Luperus luperus, KL 3,5 mm
Artensterben

  Subtribus Luperina

     einige Gattungen: 

    Metrioidea, Monolepta, Scelida

    

zurück      
zum nächsthöheren Taxon

Tribus Metacyclini Chapuis, 1875

    einige Gattungen: 

    Chtoneis, Elyces, Exora, Hecataenus, Malacorhinis, Masurius,

    Pyesia,  

 

Erlenblattkäfer Agelastica alni
Erlenblattkäfer Agelastica alni, KL 5,5 mm

Sammlung  Mathias Hoffmann















Naturkundemuseum Leipzig
Sermylassa halensis
Sermylassa halensis, KL 6 mm,
Tribus Sermylini

Stadt Leipzig, Sachsen
Impressum

Tribus Sermylini

     einheimische Gattungen:

    Agelastica, Sermylassa 

 

 

Copyright © Mathias Hoffmann 2015