Stammbaum des Lebens

Taxa

Kollage Organismen
Navigation: Arthropoda/Tracheata/Insecta/Coleoptera/Polyphaga/Staphyliniformia/Silphidae
 (in Arbeit)   Gliederfüsser/............/Insekten/Käfer/...................../Kurzflüglerartige/Aaskäfer
home

Familie Silphidae - Aaskäfer


Schwarzer Totengräber
Schwarzer Totengräber
Necrophorus humator, KL 26 mm
Totengräber Necrophorus vestigator
Totengräber Necrophorus vestigator, KL 16 mm,
Totengräber Necrophorus 
Totengräber Necrophorus vespilloides, KL 13 mm,
Biotope

UF Nicrophorinae Kirby (1837)

   Totengräber  1 Tribus, 1 Gattung, 68 Arten

     Nicrophorini

     Nicrophorus (Necrophorus)

Tiere

UF Silphinae Kirby (1837)

  Aaskäfer   12 Gattungen,  113 Arten

    Gattungen Auswahl: 

    Thanatophilus

    Necrodes

    Phosphuga 

    Blitophaga

    Xylodrepa

    Orceoptoma

    Silpha 

Totengräber Necrophorus vespillo
Totengräber Necrophorus
vespillo
, KL 18 mm
Ufer-Aaskäfer Necrodes littoralis
Ufer-Aaskäfer Necrodes littoralis, KL 15 mm
Totenfreund Thanatophilus 
Totenfreund Thanatophilus
rugosus
, KL 10 mm
Pflanzen    Ablattaria  
Kulturen

 

Schwarzer Schneckenjäger
Schwarzer Schneckenjäger Phosphuga atrata, KL 11 mm
Goldfarbener Rübenaaskäfer
Goldfarbener Rübenaaskäfer Blitophaga opaca, KL 10 mm
Gerippter Totenfreund
Gerippter Totenfreund
Thanatophilus sinuatus, KL 9 mm
Artensterben

 

zurück      
zum nächsthöheren Taxon

 

Vierpunktiger Raupenjäger
Vierpunktiger Raupenjäger Xylodrepa quadripunctaria
S
ammlung Mathias Hoffmann,
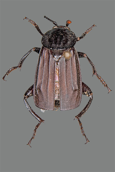
Schwarzer Schneckenjäger
Schwarzer Schneckenjäger  Phosphuga atrata, KL 12 mm
Naturkundemuseum Leipzig
Rothalsige Silphe
Rothalsige Silphe Oeceoptoma thoracaria, KL 14 mm
Stadt Leipzig, Sachsen
Impressum

  

Copyright © Mathias Hoffmann 2014